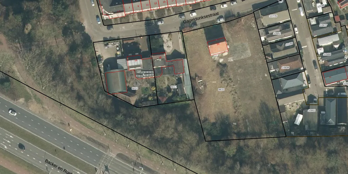
Perceel: BDA00-H-6611
KadastraleKaart.com kan meer dan je denktOntdek meer ›
Filter op bestemming 50+ datasets Eigendomsdata in één klik Percelen CRM
795 m2 - 121 m
Eigenaar opvragen
BDA00-H-6611 (Breda)
- 4824 PH
LkgTV4NIFaK21V5nE4EdUpgrade naar KadastraleKaart Pro
Verkoopprijs opvragen
Bekijk op Street View
Download DWG/DXF/Excel
Xw3dRDbH1sz Upgrade naar KadastraleKaart Pro
wbedZR1kNGb81UJ3GuvUpgrade naar KadastraleKaart Pro
bh0prgIQcAo 1l6iUpgrade naar KadastraleKaart Pro
MPVXX7iYxqo s8kiKUpgrade naar KadastraleKaart Pro
ecJNJMMr1 IR8GturY5UqhUpgrade naar KadastraleKaart Pro
J0beXDD0 OSGht92v6ZUpgrade naar KadastraleKaart Pro
zEv4Sq f0QL3dLGUpgrade naar KadastraleKaart Pro
wwTYP 8EXUpgrade naar KadastraleKaart Pro
fh jklegOlwJvDH5MMOm Upgrade naar KadastraleKaart Pro
9QXG6DsCe TKulR0 Fe MUpgrade naar KadastraleKaart Pro
10/03/2010

Percelen
Gebruik de zoekbalk of klik op een perceel om informatie over het perceel te bekijken.