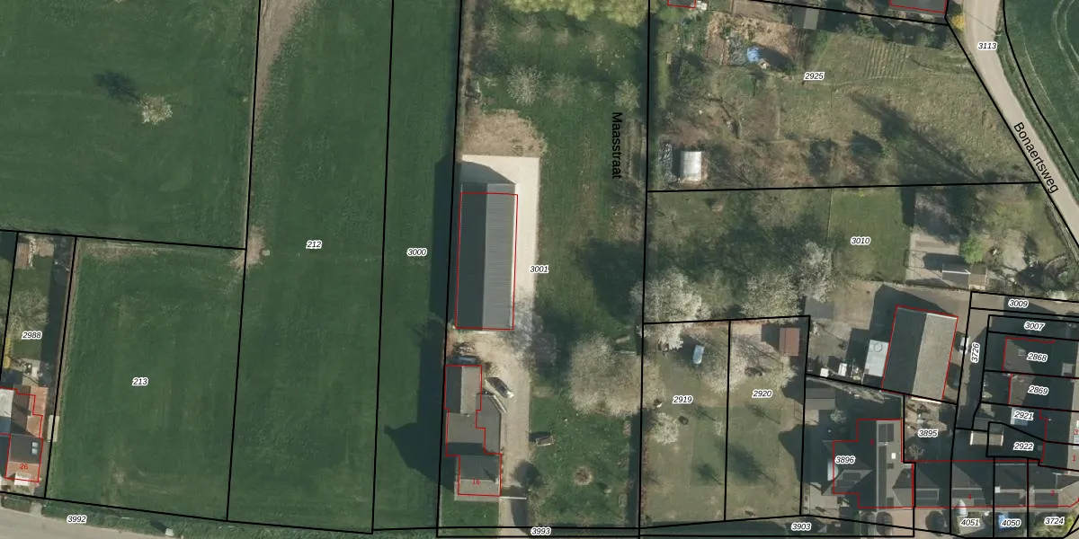
Perceel: BDE00-B-3001
KadastraleKaart.com kan meer dan je denktOntdek meer ›
Filter op bestemming 50+ datasets Eigendomsdata in één klik Percelen CRM
3.820 m2 - 277 m
Eigenaar opvragen
BDE00-B-3001 (Bunde)
- 6241 NJ
KCOq878 nyZ56RQTc83 LxnmTUpgrade naar KadastraleKaart Pro
Verkoopprijs opvragen
Bekijk op Street View
Download DWG/DXF/Excel
AVIfVV wOq8 cJPTOCTkUpgrade naar KadastraleKaart Pro
30Xzz1orRUpgrade naar KadastraleKaart Pro
rz56tB3R Rik9Upgrade naar KadastraleKaart Pro
QTvZZ3B sUpgrade naar KadastraleKaart Pro
bJZ4WSo42 8z3x b sUpgrade naar KadastraleKaart Pro
Y cseOc9yqHGi MYGttKUpgrade naar KadastraleKaart Pro
C9f pCo4 csUEMUpgrade naar KadastraleKaart Pro
UWghziI X Lj Mf6vEUpgrade naar KadastraleKaart Pro
Z0Eep4S52LPnSzmFhvisUpgrade naar KadastraleKaart Pro
7LgQoPohN0 3tqXdK1o4Upgrade naar KadastraleKaart Pro
27/01/2009

Percelen
Gebruik de zoekbalk of klik op een perceel om informatie over het perceel te bekijken.