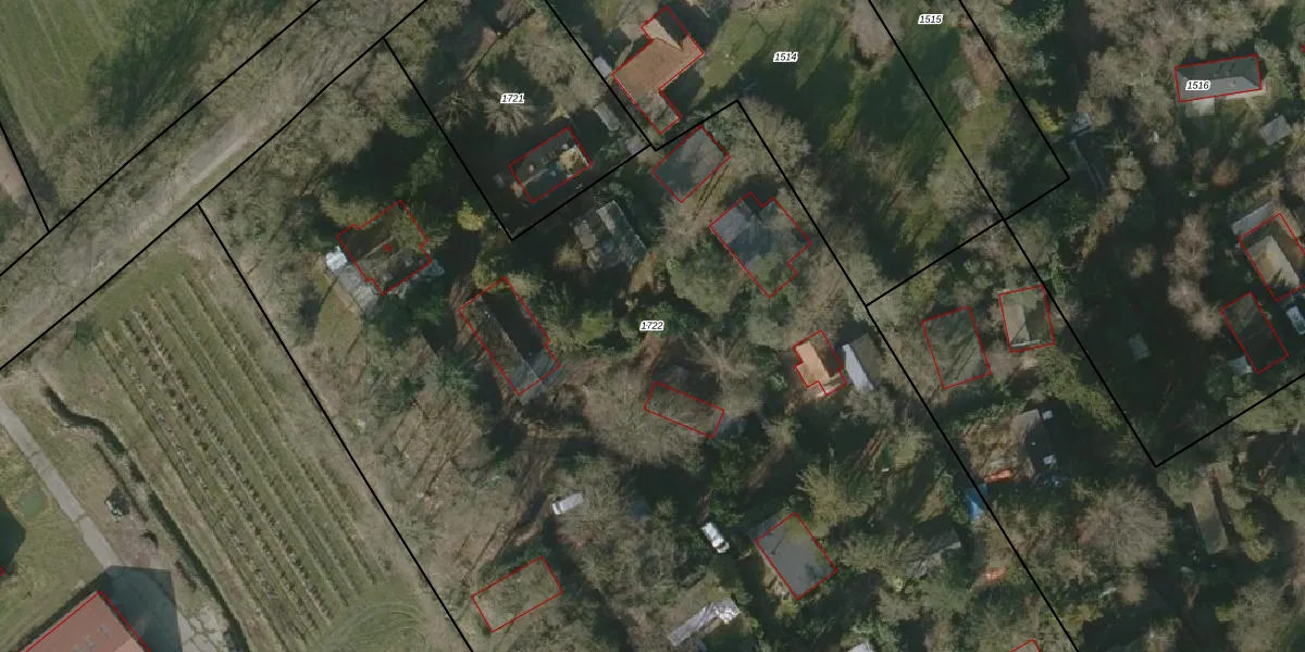
Perceel: BDK00-D-1722
KadastraleKaart.com kan meer dan je denktOntdek meer ›
Filter op bestemming 50+ datasets Eigendomsdata in één klik Percelen CRM
14.525 m2 - 567 m
Eigenaar opvragen
BDK00-D-1722 (Blesdijke)
- 8395 TK
T6ufi1t RSAZy5 qUpgrade naar KadastraleKaart Pro
Verkoopprijs opvragen
Bekijk op Street View
Download DWG/DXF/Excel
XkMfShfnY2k1LUpgrade naar KadastraleKaart Pro
b6SdQYKtUpgrade naar KadastraleKaart Pro
H KM wTNwtxDUpgrade naar KadastraleKaart Pro
ip nUBRzEeUpgrade naar KadastraleKaart Pro
i FlTteypI36 5RH3qR5ZeUpgrade naar KadastraleKaart Pro
2K jkIMODPVSJvcPaCUpgrade naar KadastraleKaart Pro
B08iWW q6JrU3 ZjyY6Upgrade naar KadastraleKaart Pro
Eta vZTA38H ML4JwbE6Upgrade naar KadastraleKaart Pro
q 1 vDtpZ8RW Upgrade naar KadastraleKaart Pro
EcNTQqZnddrEVk PRUpgrade naar KadastraleKaart Pro
16/03/2018

Percelen
Gebruik de zoekbalk of klik op een perceel om informatie over het perceel te bekijken.