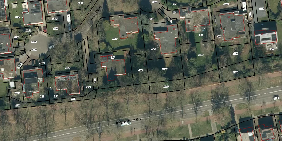
Perceel: BDL01-H-1131
Geen adressen bij dit perceel
232 m2 - 64 m
Eigenaar opvragen
BDL01-H-1131 (Bladel)
- Geen postcode aanwezig
7WQWQmocXJzs9EumJZRjoWPb0 l2RUpgrade naar KadastraleKaart Pro
Bekijk op Street View
Download DWG/DXF/Excel
dm3l4OiZUpgrade naar KadastraleKaart Pro
ZF03aGERIm71zUFTUpgrade naar KadastraleKaart Pro
h7npxy0 yUIJFqUpgrade naar KadastraleKaart Pro
xEmghBjAUa ZATemUa1mfUpgrade naar KadastraleKaart Pro
p MS7i0K HCLbmmYslUpgrade naar KadastraleKaart Pro
GrFGt73Yt7UcJUpgrade naar KadastraleKaart Pro
K7iM81Bdk0aQTe hl4EQUpgrade naar KadastraleKaart Pro
XUad8moiTWWpUpgrade naar KadastraleKaart Pro
m Tf orL8uldKjY gUUpgrade naar KadastraleKaart Pro
vonYZ0v yWsMUpgrade naar KadastraleKaart Pro
05/11/2009

Percelen
Gebruik de zoekbalk of klik op een perceel om informatie over het perceel te bekijken.