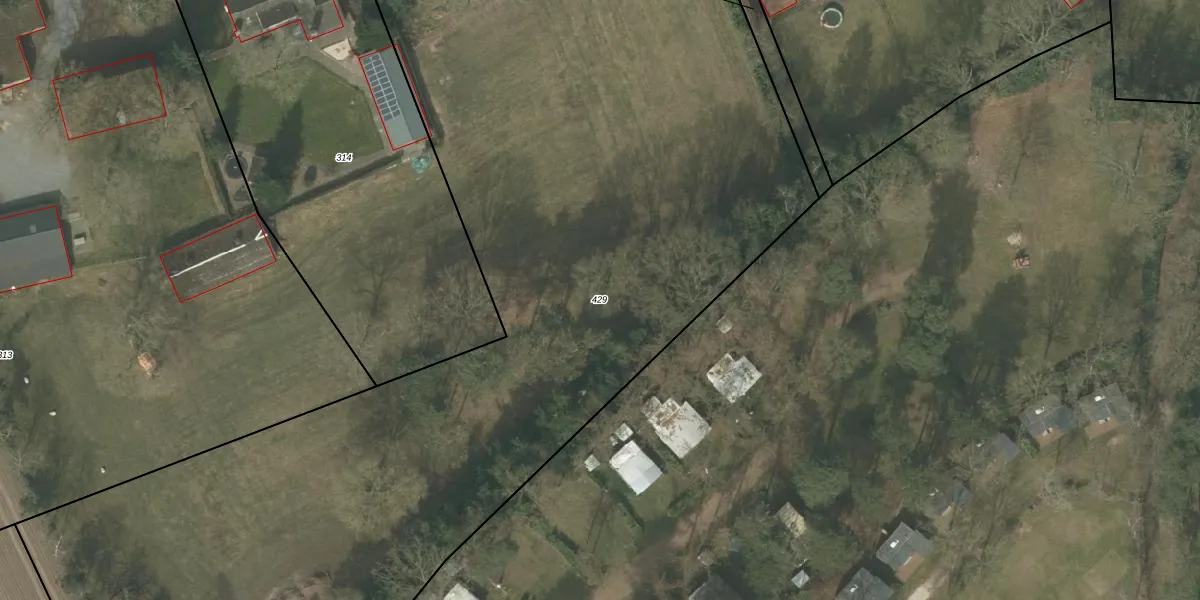
Perceel: BDL01-K-429
Geen adressen bij dit perceel
9.054 m2 - 533 m
Eigenaar opvragen
BDL01-K-429 (Bladel)
- Geen postcode aanwezig
LCMobIF jWwuzZTt vQUpgrade naar KadastraleKaart Pro
Bekijk op Street View
Download DWG/DXF/Excel
23Pwc9EFPxeUpgrade naar KadastraleKaart Pro
ZVuD3vJGCUpgrade naar KadastraleKaart Pro
bRqOKi7fSnoDUpgrade naar KadastraleKaart Pro
YGbM L3UGwVNHkWguUpgrade naar KadastraleKaart Pro
8oX YxJ IdKUpgrade naar KadastraleKaart Pro
rznIyuK7Ard XUpgrade naar KadastraleKaart Pro
7T yqVabUpgrade naar KadastraleKaart Pro
YvguYlU2ojXT80o2rUpgrade naar KadastraleKaart Pro
ExaL8v o DeRN1 QAw0Yw0Upgrade naar KadastraleKaart Pro
LNqDaPfcKCIC 7m CQUpgrade naar KadastraleKaart Pro
12/05/2005

Percelen
Gebruik de zoekbalk of klik op een perceel om informatie over het perceel te bekijken.