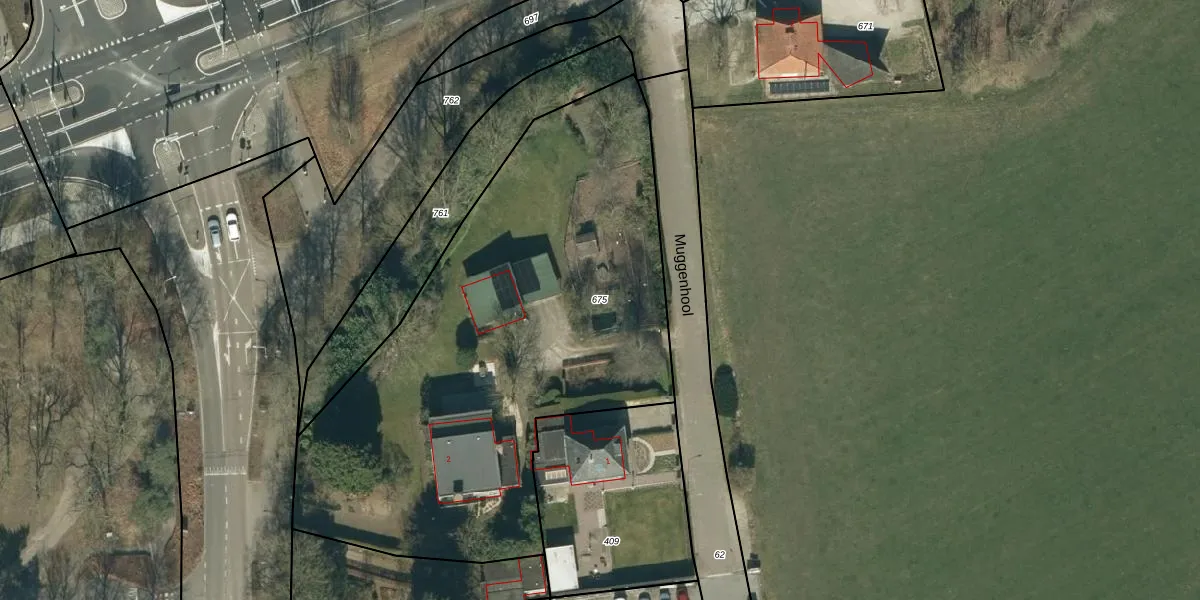
Perceel: BDL01-K-675
KadastraleKaart.com kan meer dan je denktOntdek meer ›
Filter op bestemming 50+ datasets Eigendomsdata in één klik Percelen CRM
2.872 m2 - 245 m
Eigenaar opvragen
BDL01-K-675 (Bladel)
- 5531 NB
pOyJ1oKS5E1aHADYC6pGTUpgrade naar KadastraleKaart Pro
Verkoopprijs opvragen
Bekijk op Street View
Download DWG/DXF/Excel
wxv5x26nUpgrade naar KadastraleKaart Pro
oARpf Quw HQMwunkp Upgrade naar KadastraleKaart Pro
D6AcGl BakQ00ZiHcOnUpgrade naar KadastraleKaart Pro
ZLQ9n3ynZBuEz9Upgrade naar KadastraleKaart Pro
W OyLKyu5l nV ZMUWUpgrade naar KadastraleKaart Pro
aQLS70c8Upgrade naar KadastraleKaart Pro
vlwFjrdBJ I ulXUpgrade naar KadastraleKaart Pro
jdfDHp E sTO2VUpgrade naar KadastraleKaart Pro
Yj97IyiEi9Upgrade naar KadastraleKaart Pro
S1 CqYdbNNip99lO6dQlUpgrade naar KadastraleKaart Pro
05/12/2016

Percelen
Gebruik de zoekbalk of klik op een perceel om informatie over het perceel te bekijken.