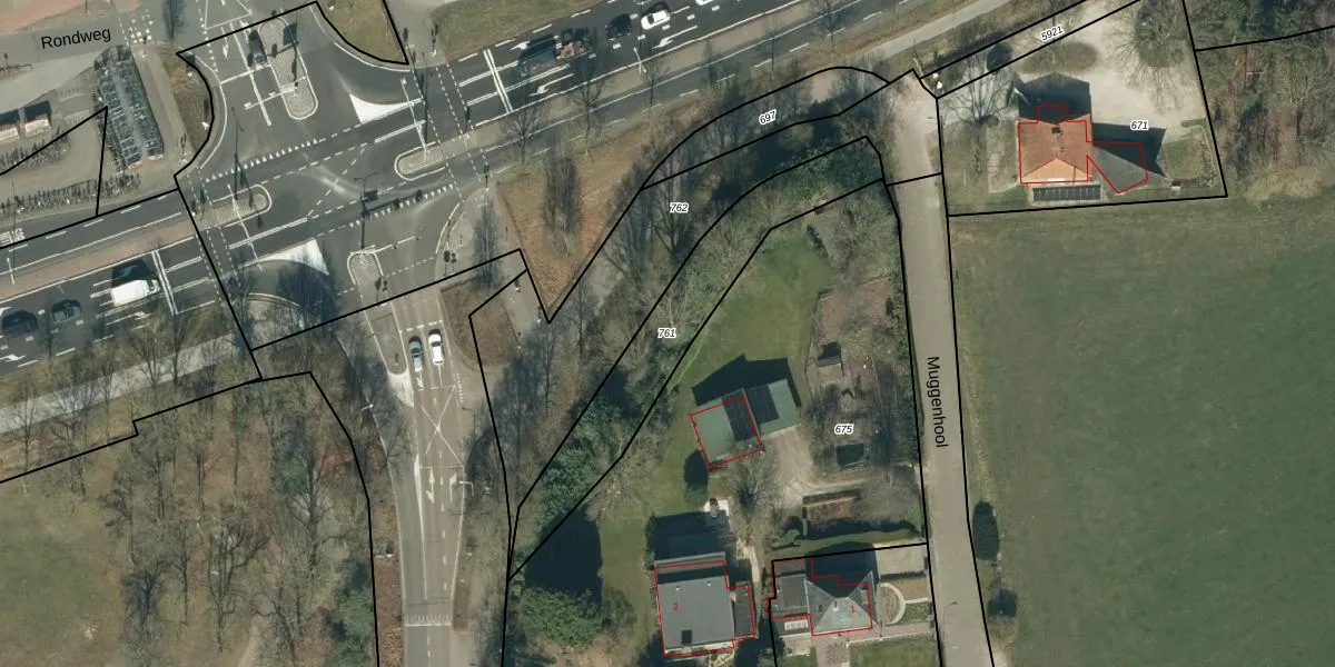
Perceel: BDL01-K-761
Geen adressen bij dit perceel
600 m2 - 183 m
Eigenaar opvragen
BDL01-K-761 (Bladel)
- Geen postcode aanwezig
0SL6Fk6UtHYcEywt1kjE R9Upgrade naar KadastraleKaart Pro
Bekijk op Street View
Download DWG/DXF/Excel
VZ7P PEH0vK4BlvT5LoTxsUpgrade naar KadastraleKaart Pro
yAxy pyShCUpgrade naar KadastraleKaart Pro
dav kgOd5lWJcR1Upgrade naar KadastraleKaart Pro
KD8p8kYAJ1ZAaexZaUpgrade naar KadastraleKaart Pro
uhmn7D6kUpgrade naar KadastraleKaart Pro
t jg6SSN VYw8SSy72OXOUpgrade naar KadastraleKaart Pro
oq dklTIYtuKj3C2 TRc bUpgrade naar KadastraleKaart Pro
Z52q h5bUpgrade naar KadastraleKaart Pro
6WI0F8d9b 7ZG4 28NLoUpgrade naar KadastraleKaart Pro
E1 itMj5B6JdJ WH8NAusSUpgrade naar KadastraleKaart Pro
05/12/2016

Percelen
Gebruik de zoekbalk of klik op een perceel om informatie over het perceel te bekijken.