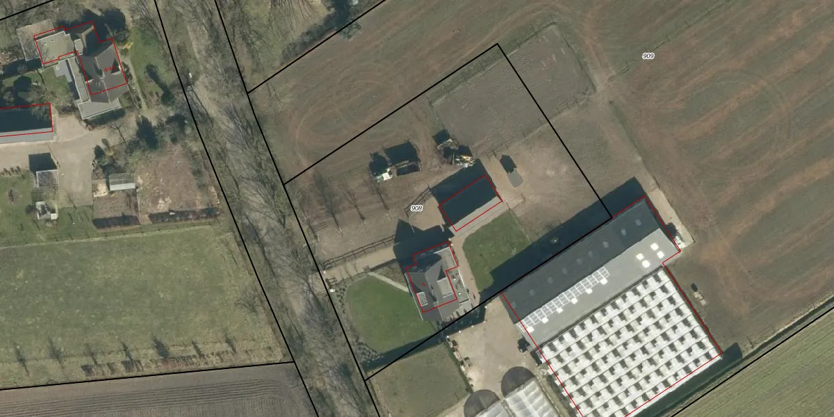
Perceel: BDL01-L-908
KadastraleKaart.com kan meer dan je denktOntdek meer ›
Filter op bestemming 50+ datasets Eigendomsdata in één klik Percelen CRM
3.316 m2 - 234 m
Eigenaar opvragen
BDL01-L-908 (Bladel)
- 5534 AP
s77xeOXjqN8MeN9Upgrade naar KadastraleKaart Pro
Verkoopprijs opvragen
Bekijk op Street View
Download DWG/DXF/Excel
LbR 5 4MGoIm8olUpgrade naar KadastraleKaart Pro
PG7KWRGx4Phn wUpgrade naar KadastraleKaart Pro
Vv1nBg8xHUpgrade naar KadastraleKaart Pro
qmtqhkdk1eYSwzswDUpgrade naar KadastraleKaart Pro
S dlvJ4hUpgrade naar KadastraleKaart Pro
x boL IVS9vFLYwaRAUpgrade naar KadastraleKaart Pro
ExVD cBNYy49Pn Upgrade naar KadastraleKaart Pro
AekcpZjAtUO1 I1JziUpgrade naar KadastraleKaart Pro
7Yyt5pVrpzyUpgrade naar KadastraleKaart Pro
c T hqCMt3MadOjz 2asUpgrade naar KadastraleKaart Pro
27/05/2008

Percelen
Gebruik de zoekbalk of klik op een perceel om informatie over het perceel te bekijken.