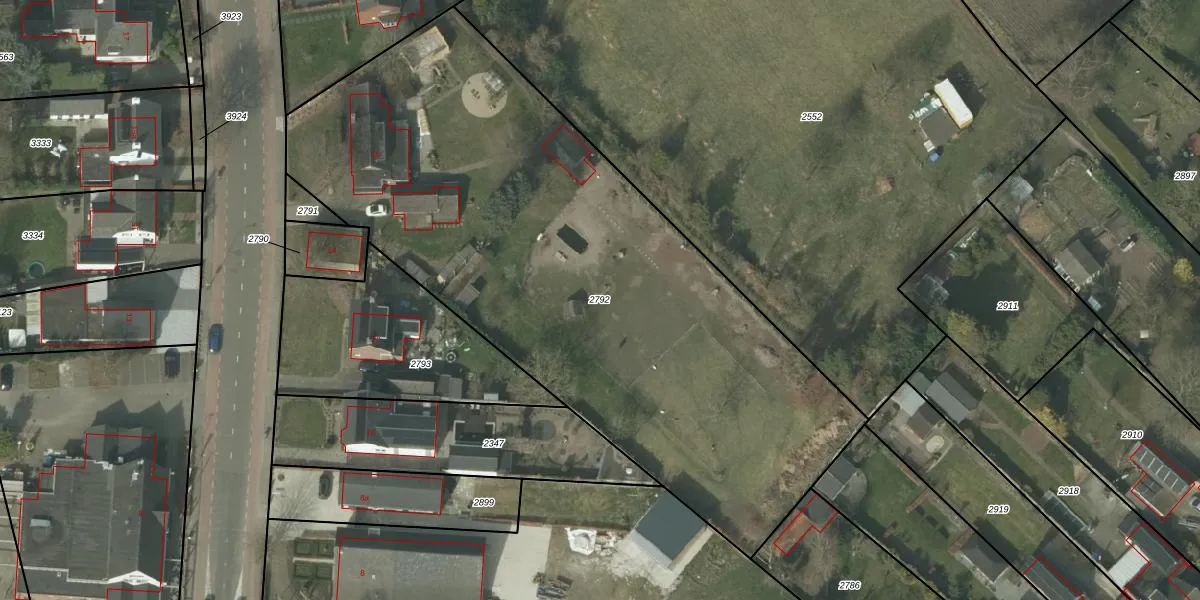
Perceel: BDL02-A-2792
KadastraleKaart.com kan meer dan je denktOntdek meer ›
Filter op bestemming 50+ datasets Eigendomsdata in één klik Percelen CRM
3.575 m2 - 273 m
Eigenaar opvragen
BDL02-A-2792 (Budel)
- 6021 CP
RD gQ7uWR8NpQqAlyFMIGuVdUpgrade naar KadastraleKaart Pro
Verkoopprijs opvragen
Bekijk op Street View
Download DWG/DXF/Excel
Lkys0 ayiU iAGF eUpgrade naar KadastraleKaart Pro
MCOeVqojkp6ydYbxACbUpgrade naar KadastraleKaart Pro
hrTcO hlsUUJyoAK2tgGUpgrade naar KadastraleKaart Pro
kpV0eu ngINnz AS7hKx OUpgrade naar KadastraleKaart Pro
fvnAsVfzyiw Upgrade naar KadastraleKaart Pro
ltewYGumOMpZD4LsRUpgrade naar KadastraleKaart Pro
P5seKmG1KwKZ2qzWxEjUpgrade naar KadastraleKaart Pro
TTMq C9HJ225kAUTRvAy hUpgrade naar KadastraleKaart Pro
hIV fpwu56RSn5P0qlL9Upgrade naar KadastraleKaart Pro
oR b3SbB7Upgrade naar KadastraleKaart Pro
16/02/2005

Percelen
Gebruik de zoekbalk of klik op een perceel om informatie over het perceel te bekijken.