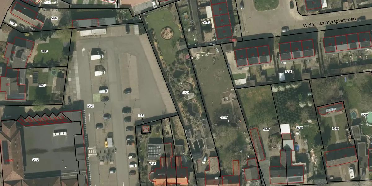
Perceel: BDL02-D-3712
KadastraleKaart.com kan meer dan je denktOntdek meer ›
Filter op bestemming 50+ datasets Eigendomsdata in één klik Percelen CRM
1.604 m2 - 237 m
Eigenaar opvragen
BDL02-D-3712 (Budel)
- 6023 BA
2pqD0 cppTK9w9m4 ZI0DUpgrade naar KadastraleKaart Pro
Bekijk op Street View
Download DWG/DXF/Excel
4q0GtZ5ELUpgrade naar KadastraleKaart Pro
8xNSV0a0wpc4LN XUpgrade naar KadastraleKaart Pro
aVP3E7BlmEyxsUpgrade naar KadastraleKaart Pro
jYd1a2eanly3FswgBqJeUpgrade naar KadastraleKaart Pro
BHvNvu1I5KCgefWUpgrade naar KadastraleKaart Pro
ktm0Vbu6xecUl8q0SZUpgrade naar KadastraleKaart Pro
v qWOXDvbETJA9 nYUpgrade naar KadastraleKaart Pro
zvULR8Qb 5aUpgrade naar KadastraleKaart Pro
z MaTwD9Xdq1WIqv2Upgrade naar KadastraleKaart Pro
5 GNfwtY2AunpRzUpgrade naar KadastraleKaart Pro
27/08/2024

Percelen
Gebruik de zoekbalk of klik op een perceel om informatie over het perceel te bekijken.