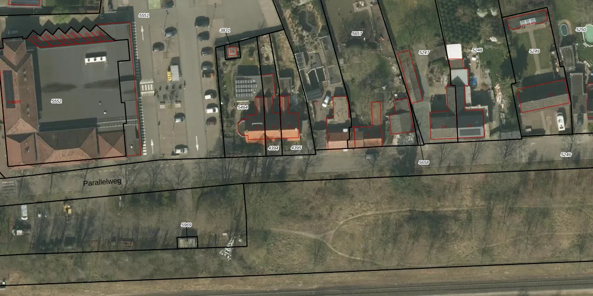
Perceel: BDL02-D-4395
KadastraleKaart.com kan meer dan je denktOntdek meer ›
Filter op bestemming 50+ datasets Eigendomsdata in één klik Percelen CRM
350 m2 - 102 m
Eigenaar opvragen
BDL02-D-4395 (Budel)
- 6023 BA
qENGRx0b tBJQNf3EeHD3cXOU JUpgrade naar KadastraleKaart Pro
Verkoopprijs opvragen
Bekijk op Street View
Download DWG/DXF/Excel
AEOTD BPUpgrade naar KadastraleKaart Pro
nQ4Z9ZPtjq8JxK0V ikUpgrade naar KadastraleKaart Pro
H5Q WmKRPPUpgrade naar KadastraleKaart Pro
rweUTf058dnmxVZp hy9YkeUpgrade naar KadastraleKaart Pro
0kortBuOBzjUpgrade naar KadastraleKaart Pro
1 6iEzZSUro8i2cGP1r n1Upgrade naar KadastraleKaart Pro
d59YpOJX0laUpgrade naar KadastraleKaart Pro
7vRN d 6E35gUpgrade naar KadastraleKaart Pro
7eu vu7NE1wGBdbw vUpgrade naar KadastraleKaart Pro
RLCfLCZBUkP sY PUSUpgrade naar KadastraleKaart Pro
01/03/2005

Percelen
Gebruik de zoekbalk of klik op een perceel om informatie over het perceel te bekijken.