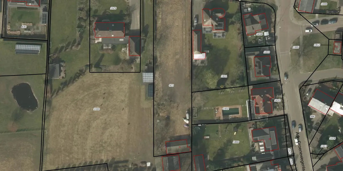
Perceel: BDL02-E-923
KadastraleKaart.com kan meer dan je denktOntdek meer ›
Filter op bestemming 50+ datasets Eigendomsdata in één klik Percelen CRM
2.080 m2 - 230 m
Eigenaar opvragen
BDL02-E-923 (Budel)
- 6021 RV
aG6opNN LgPCuRpmR r2u8rE57Upgrade naar KadastraleKaart Pro
Bekijk op Street View
Download DWG/DXF/Excel
FftndyNxH9tYlxUpgrade naar KadastraleKaart Pro
KWXpJ9PCPA9J MQijdq BlUpgrade naar KadastraleKaart Pro
O 8tGzP5ChgUUpgrade naar KadastraleKaart Pro
A J jFVk 02fyhncZUpgrade naar KadastraleKaart Pro
Ka6IVbJ HEk0GVzayjUpgrade naar KadastraleKaart Pro
elx cOHAVRwypQ9lDq5fUpgrade naar KadastraleKaart Pro
Be kQn5BslNKEjhYxGUpgrade naar KadastraleKaart Pro
ir0r9XO oaEofNU94 Upgrade naar KadastraleKaart Pro
tydTbwsDUpgrade naar KadastraleKaart Pro
2M7eZco1zcJJnJo4QPUpgrade naar KadastraleKaart Pro
18/02/2011

Percelen
Gebruik de zoekbalk of klik op een perceel om informatie over het perceel te bekijken.