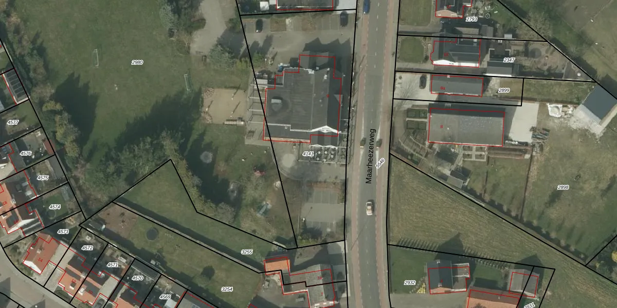
Perceel: BDL02-F-4141
KadastraleKaart.com kan meer dan je denktOntdek meer ›
Filter op bestemming 50+ datasets Eigendomsdata in één klik Percelen CRM
2.000 m2 - 206 m
Eigenaar opvragen
BDL02-F-4141 (Budel)
- 6021 CN
l7HOqFeTgkd8zso0hiPG JIg 4MUpgrade naar KadastraleKaart Pro
Bekijk op Street View
Download DWG/DXF/Excel
tSX51N GCfSJbOiIMdOUpgrade naar KadastraleKaart Pro
ukuoq VaZAbJWOy3TUpgrade naar KadastraleKaart Pro
lZqqbryZ Upgrade naar KadastraleKaart Pro
O h67lWUBWOPrH4E5g8Upgrade naar KadastraleKaart Pro
a56Eunbl0W G Ry2P 9agUUpgrade naar KadastraleKaart Pro
2qSqJBzvrLCBqGcqgUpgrade naar KadastraleKaart Pro
Ia4U96AQ8whAtfUpgrade naar KadastraleKaart Pro
BMA2D55SUpgrade naar KadastraleKaart Pro
603BqWJ4 OzQp2j4PCQJRUpgrade naar KadastraleKaart Pro
A1H7GF4gHUpgrade naar KadastraleKaart Pro
03/03/2005

Percelen
Gebruik de zoekbalk of klik op een perceel om informatie over het perceel te bekijken.