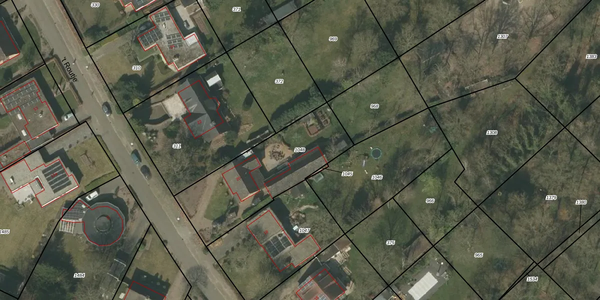
Perceel: BDL02-G-1048
KadastraleKaart.com kan meer dan je denktOntdek meer ›
Filter op bestemming 50+ datasets Eigendomsdata in één klik Percelen CRM
1.103 m2 - 158 m
Eigenaar opvragen
BDL02-G-1048 (Budel)
- 6024 BP
w5tmq61om8qIx3GjR91bTVy4HHi Upgrade naar KadastraleKaart Pro
Bekijk op Street View
Download DWG/DXF/Excel
isEZjO S2CVWUxUpgrade naar KadastraleKaart Pro
lw4ujkx8 hi5SR16Lu4Upgrade naar KadastraleKaart Pro
3Qeyrn5bMbYvYZogFUpgrade naar KadastraleKaart Pro
h6aDnmJuLUpgrade naar KadastraleKaart Pro
n3Ayg715 aiyKZ5brUpgrade naar KadastraleKaart Pro
v 5RTt7vAAlUpgrade naar KadastraleKaart Pro
pg83q MwZXUpgrade naar KadastraleKaart Pro
jDmAN URR alyAbnUpgrade naar KadastraleKaart Pro
RIAWDNeIoIUpgrade naar KadastraleKaart Pro
P65yqRre KA6lUpgrade naar KadastraleKaart Pro
25/02/2005

Percelen
Gebruik de zoekbalk of klik op een perceel om informatie over het perceel te bekijken.