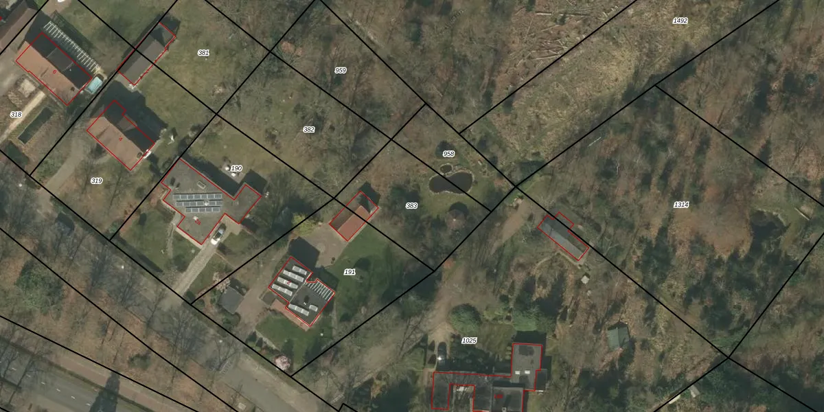
Perceel: BDL02-G-383
KadastraleKaart.com kan meer dan je denktOntdek meer ›
Filter op bestemming 50+ datasets Eigendomsdata in één klik Percelen CRM
Geen adressen bij dit perceel
597 m2 - 100 m
Eigenaar opvragen
BDL02-G-383 (Budel)
- Geen postcode aanwezig
rNdUfwTDToubDkCCRwsVP7yGUpgrade naar KadastraleKaart Pro
Bekijk op Street View
Download DWG/DXF/Excel
kRU56x QZSErKyIUpgrade naar KadastraleKaart Pro
Yh1sQnucMQPv3 Upgrade naar KadastraleKaart Pro
nvwkyD3recUpgrade naar KadastraleKaart Pro
6ZPeLJRjlv4utMbUpgrade naar KadastraleKaart Pro
1A8YVxutoxtpFDUpgrade naar KadastraleKaart Pro
6mmx Qm1usLUpgrade naar KadastraleKaart Pro
Q tMN4IehUpgrade naar KadastraleKaart Pro
eZy8 hWgj4SzpUpgrade naar KadastraleKaart Pro
h 6iKwId bz6U RUpgrade naar KadastraleKaart Pro
pOUceTdxjQ yPBKuDs2TlUpgrade naar KadastraleKaart Pro
25/02/2005

Percelen
Gebruik de zoekbalk of klik op een perceel om informatie over het perceel te bekijken.