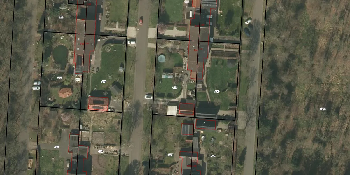
Perceel: BDL02-G-529
KadastraleKaart.com kan meer dan je denktOntdek meer ›
Filter op bestemming 50+ datasets Eigendomsdata in één klik Percelen CRM
1.038 m2 - 135 m
Eigenaar opvragen
BDL02-G-529 (Budel)
- 6024 AK
THKjLHh3XKRueKPLiY1AWUpgrade naar KadastraleKaart Pro
Verkoopprijs opvragen
Bekijk op Street View
Download DWG/DXF/Excel
uobK5DMSL rhPd2RlO3nCUpgrade naar KadastraleKaart Pro
g6cMb XN vG18AUpgrade naar KadastraleKaart Pro
BR6id vL ad SUpgrade naar KadastraleKaart Pro
hJyX0jhtgfUpgrade naar KadastraleKaart Pro
v41NFSiVv2 Y5g9HXKUpgrade naar KadastraleKaart Pro
rsD h0 w9 xSOG CUpgrade naar KadastraleKaart Pro
OpQwX Qu3qp 4 Upgrade naar KadastraleKaart Pro
Io rI vNkuxmzPxUpgrade naar KadastraleKaart Pro
f l RfZUpgrade naar KadastraleKaart Pro
GX6lsTF03EzdaKfYb vOL6Upgrade naar KadastraleKaart Pro
25/02/2005

Percelen
Gebruik de zoekbalk of klik op een perceel om informatie over het perceel te bekijken.