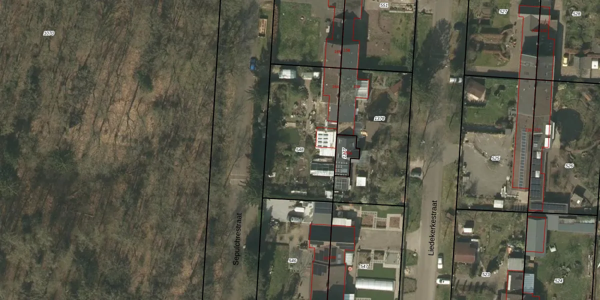
Perceel: BDL02-G-548
KadastraleKaart.com kan meer dan je denktOntdek meer ›
Filter op bestemming 50+ datasets Eigendomsdata in één klik Percelen CRM
1.050 m2 - 136 m
Eigenaar opvragen
BDL02-G-548 (Budel)
- 6024 AL
V3pKDfUsWGnIndKQNPf7i6Upgrade naar KadastraleKaart Pro
Bekijk op Street View
Download DWG/DXF/Excel
RCGDvT9Q3 Upgrade naar KadastraleKaart Pro
76NftmtRHDeKfTfSVQHtCcUpgrade naar KadastraleKaart Pro
8amkeG3J5Czs8u2IskUpgrade naar KadastraleKaart Pro
ZH V2LktGWv9 9nzpUpgrade naar KadastraleKaart Pro
Y016dNpyPtaMjj3 RoUpgrade naar KadastraleKaart Pro
JlUmLM9OuSaavesQ6Hz1bUpgrade naar KadastraleKaart Pro
XtHeV5 cIhpcdM2 rVdflZwUpgrade naar KadastraleKaart Pro
xeHaW2tiQyixkRVdNUpgrade naar KadastraleKaart Pro
wzhs13DsiaK IDUpgrade naar KadastraleKaart Pro
REmRYlslX1dIPBmVMPrUpgrade naar KadastraleKaart Pro
07/03/2008

Percelen
Gebruik de zoekbalk of klik op een perceel om informatie over het perceel te bekijken.