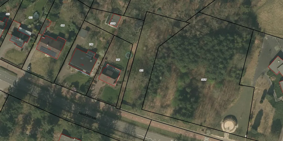
Perceel: BDL02-G-821
KadastraleKaart.com kan meer dan je denktOntdek meer ›
Filter op bestemming 50+ datasets Eigendomsdata in één klik Percelen CRM
Geen adressen bij dit perceel
2.085 m2 - 493 m
Eigenaar opvragen
BDL02-G-821 (Budel)
- Geen postcode aanwezig
qgZG6Ji1s RrZ 5 RebPbAUpgrade naar KadastraleKaart Pro
Bekijk op Street View
Download DWG/DXF/Excel
Zf4 3iBp q72 92OslsSzMUpgrade naar KadastraleKaart Pro
ceVKXCYz9KbOIK2AquGnp8Upgrade naar KadastraleKaart Pro
7BgjmwqL5ZJ hnLsQUpgrade naar KadastraleKaart Pro
4l2q0jCtcoIOcZkN 5vK 3Upgrade naar KadastraleKaart Pro
D87mz10Ms Upgrade naar KadastraleKaart Pro
X6BL0iYUVP6cdGeqAtlvsUpgrade naar KadastraleKaart Pro
8JALdZKd zhUpgrade naar KadastraleKaart Pro
2aCcGRLUxiomUpgrade naar KadastraleKaart Pro
ufBSp2EqObCH Upgrade naar KadastraleKaart Pro
oD4 8ieYUpgrade naar KadastraleKaart Pro
12/07/2011

Percelen
Gebruik de zoekbalk of klik op een perceel om informatie over het perceel te bekijken.