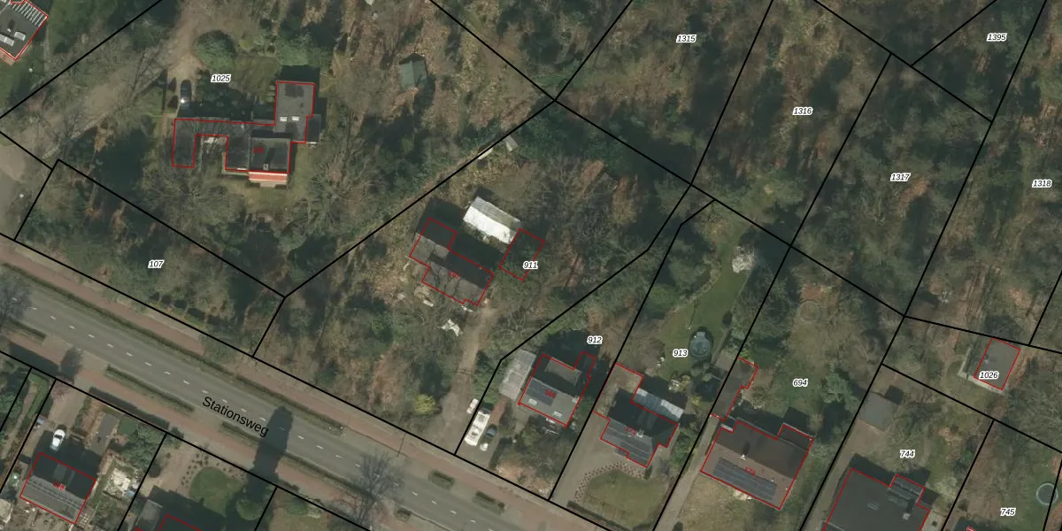
Perceel: BDL02-G-911
KadastraleKaart.com kan meer dan je denktOntdek meer ›
Filter op bestemming 50+ datasets Eigendomsdata in één klik Percelen CRM
2.535 m2 - 217 m
Eigenaar opvragen
BDL02-G-911 (Budel)
- 6024 BL
X 80IUfHSa 3PUjVYYCbyqQ4hUpgrade naar KadastraleKaart Pro
Verkoopprijs opvragen
Bekijk op Street View
Download DWG/DXF/Excel
TcDW cnWgHb8iblnS8XUpgrade naar KadastraleKaart Pro
pL gw0XOs4Upgrade naar KadastraleKaart Pro
pRSJes sfUpgrade naar KadastraleKaart Pro
F tY8 AtUpgrade naar KadastraleKaart Pro
79FzYEePB AF qQk89tUpgrade naar KadastraleKaart Pro
I31UzsNekVfMa2vzH69fuUpgrade naar KadastraleKaart Pro
h2Ta NWn2 RwuR0Z5jJKc lUpgrade naar KadastraleKaart Pro
tHstEFtHes6CTwEbBFfye72Upgrade naar KadastraleKaart Pro
wmZOEDqCmeZhurTuPmUpgrade naar KadastraleKaart Pro
EVNd YeBXSUpgrade naar KadastraleKaart Pro
09/06/2005

Percelen
Gebruik de zoekbalk of klik op een perceel om informatie over het perceel te bekijken.