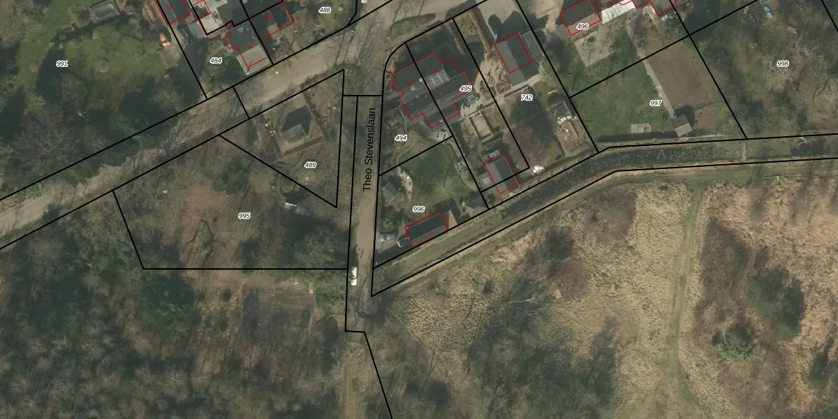
Perceel: BDL02-G-996
KadastraleKaart.com kan meer dan je denktOntdek meer ›
Filter op bestemming 50+ datasets Eigendomsdata in één klik Percelen CRM
Geen adressen bij dit perceel
495 m2 - 93 m
Eigenaar opvragen
BDL02-G-996 (Budel)
- Geen postcode aanwezig
xGD 9AKjGX3HgEV3sf71QWa4gUpgrade naar KadastraleKaart Pro
Bekijk op Street View
Download DWG/DXF/Excel
FbNZ f7JD3Upgrade naar KadastraleKaart Pro
zy6j0MgS SFIEX87 2ATCUpgrade naar KadastraleKaart Pro
u2Q fDJqUpgrade naar KadastraleKaart Pro
tLD2hzK4qqp sUpgrade naar KadastraleKaart Pro
k D Wt7ER15kk8G1wrRdLNUpgrade naar KadastraleKaart Pro
r35c1y3jUpgrade naar KadastraleKaart Pro
Wr3S6q 7Upgrade naar KadastraleKaart Pro
lV m a4iUpgrade naar KadastraleKaart Pro
LuS xH2 ganUpgrade naar KadastraleKaart Pro
0 P8Mm8rp u VzzQsjB61yUpgrade naar KadastraleKaart Pro
07/06/2006

Percelen
Gebruik de zoekbalk of klik op een perceel om informatie over het perceel te bekijken.