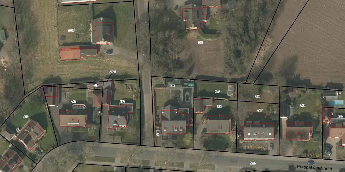
Perceel: BDL02-H-545
KadastraleKaart.com kan meer dan je denktOntdek meer ›
Filter op bestemming 50+ datasets Eigendomsdata in één klik Percelen CRM
942 m2 - 129 m
Eigenaar opvragen
BDL02-H-545 (Budel)
- 6021 EH
8ddiCKDwmf0SXBiiDCBTlshHhBUpgrade naar KadastraleKaart Pro
Verkoopprijs opvragen
Bekijk op Street View
Download DWG/DXF/Excel
UzGf1wrGsIwKRMUpgrade naar KadastraleKaart Pro
m6zJ Ek4Upgrade naar KadastraleKaart Pro
PM7TON88lv16DrFtXo Upgrade naar KadastraleKaart Pro
i L7cq6PYUpgrade naar KadastraleKaart Pro
kpEQod2H0FUKgxl3FrNUpgrade naar KadastraleKaart Pro
RSg1VLr2 gcs48K9zItUpgrade naar KadastraleKaart Pro
JCksHnHMs23uKsJrnmjpmLUpgrade naar KadastraleKaart Pro
zfsil3cYrfX EBUpgrade naar KadastraleKaart Pro
z7zp3CQl NOD4sLUpgrade naar KadastraleKaart Pro
7bv ffewUpgrade naar KadastraleKaart Pro
20/12/2007

Percelen
Gebruik de zoekbalk of klik op een perceel om informatie over het perceel te bekijken.