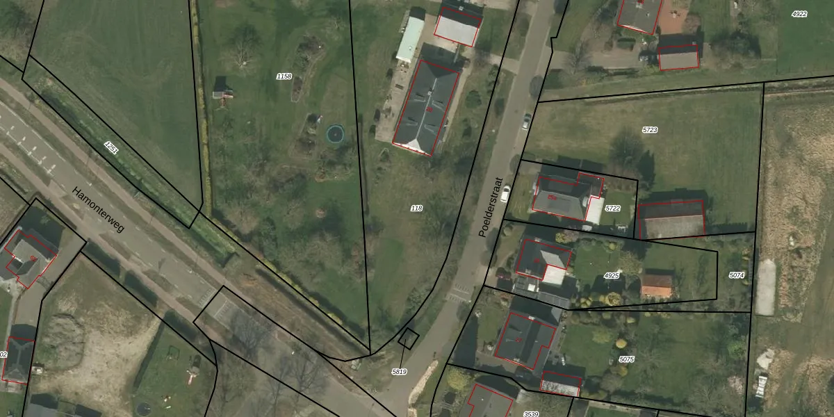
Perceel: BDL02-L-118
KadastraleKaart.com kan meer dan je denktOntdek meer ›
Filter op bestemming 50+ datasets Eigendomsdata in één klik Percelen CRM
2.290 m2 - 228 m
Eigenaar opvragen
BDL02-L-118 (Budel)
- 6023 AZ
EBfvXrskmSwzO8AAYSQnaBhpwUpgrade naar KadastraleKaart Pro
Verkoopprijs opvragen
Bekijk op Street View
Download DWG/DXF/Excel
e19RCASJAPWKsGWUpgrade naar KadastraleKaart Pro
REckcr1WwXUpgrade naar KadastraleKaart Pro
UcYCLX7WGW Upgrade naar KadastraleKaart Pro
U n0 NGlndWkaUpgrade naar KadastraleKaart Pro
NhhPmWDBN ifebP7zAEUpgrade naar KadastraleKaart Pro
uhZa1LxHjCoUpgrade naar KadastraleKaart Pro
0ZDKu5j e6tQtaJ VxUpgrade naar KadastraleKaart Pro
IMbHVhMpvkX5aSD MyLC BUpgrade naar KadastraleKaart Pro
0 WMc8lgmuC9dg Upgrade naar KadastraleKaart Pro
7Ji1ZspOtZTolG8ZUpgrade naar KadastraleKaart Pro
01/03/2005

Percelen
Gebruik de zoekbalk of klik op een perceel om informatie over het perceel te bekijken.