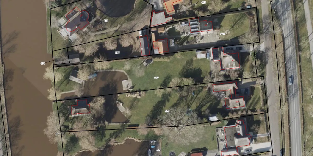
Perceel: BDW00-A-577
KadastraleKaart.com kan meer dan je denktOntdek meer ›
Filter op bestemming 50+ datasets Eigendomsdata in één klik Percelen CRM
2.820 m2 - 301 m
Eigenaar opvragen
BDW00-A-577 (Brederwiede)
- 8355 AK
tLFzdgHDcmvhiZ DsxSIJS kEQr Upgrade naar KadastraleKaart Pro
Verkoopprijs opvragen
Bekijk op Street View
Download DWG/DXF/Excel
kgrBMbc6o 2a1FrmB2YDhUpgrade naar KadastraleKaart Pro
GvaJpbwnUpgrade naar KadastraleKaart Pro
dix JtPNRAPgkUpgrade naar KadastraleKaart Pro
Sgz pD20UHV4W0ALUpgrade naar KadastraleKaart Pro
D30 eGftYxJzX W72 Upgrade naar KadastraleKaart Pro
FKhuMFvsXN2YCgUpgrade naar KadastraleKaart Pro
474Gz0 ibQkHMj9B5ihHeHUpgrade naar KadastraleKaart Pro
Be6 t oUpgrade naar KadastraleKaart Pro
4AVFKMchJUpgrade naar KadastraleKaart Pro
EuZRH0MrIytHylCUPbIUpgrade naar KadastraleKaart Pro
03/12/2001

Percelen
Gebruik de zoekbalk of klik op een perceel om informatie over het perceel te bekijken.