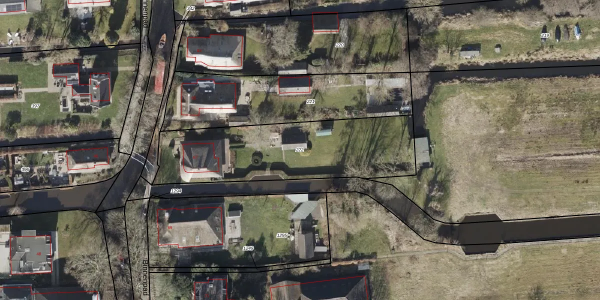
Perceel: BDW00-B-222
KadastraleKaart.com kan meer dan je denktOntdek meer ›
Filter op bestemming 50+ datasets Eigendomsdata in één klik Percelen CRM
1.620 m2 - 212 m
Eigenaar opvragen
BDW00-B-222 (Brederwiede)
- 8355 BS
eq5pdkvSYGvHlH0AZY2ifs7GB71a9 Upgrade naar KadastraleKaart Pro
Verkoopprijs opvragen
Bekijk op Street View
Download DWG/DXF/Excel
9pgyQ0Q F8fnNi8VyUpgrade naar KadastraleKaart Pro
B N7GD3YP Nkr uxbRuIUpgrade naar KadastraleKaart Pro
uZLUmqqHw77SEn3R7 Upgrade naar KadastraleKaart Pro
K7aKJN1dkPihsfu6B2LQ7Upgrade naar KadastraleKaart Pro
Es45WLU3GCrE3Upgrade naar KadastraleKaart Pro
T suEFIUFcUpgrade naar KadastraleKaart Pro
OX36rO1 icCRQMFmhugh0Upgrade naar KadastraleKaart Pro
aT5TkH3ghWgWjFhYPSO7Upgrade naar KadastraleKaart Pro
1uH8j7 q5Wv03wlMCiEqoLUpgrade naar KadastraleKaart Pro
U85vsyfFcXRWhhB2NGs Upgrade naar KadastraleKaart Pro
15/01/2002

Percelen
Gebruik de zoekbalk of klik op een perceel om informatie over het perceel te bekijken.