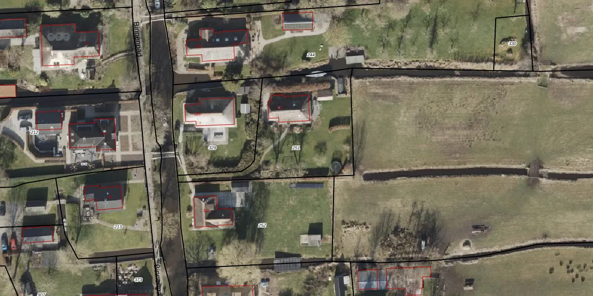
Perceel: BDW00-B-251
KadastraleKaart.com kan meer dan je denktOntdek meer ›
Filter op bestemming 50+ datasets Eigendomsdata in één klik Percelen CRM
1.186 m2 - 184 m
Eigenaar opvragen
BDW00-B-251 (Brederwiede)
- 8355 BW
GAuJJsFKBwl8pUOXnMRZUAGqn eRUpgrade naar KadastraleKaart Pro
Verkoopprijs opvragen
Bekijk op Street View
Download DWG/DXF/Excel
mCkGC0ing jqFJ4DbyxcsUpgrade naar KadastraleKaart Pro
D9zcP m71GB7I SUh6WZAF Upgrade naar KadastraleKaart Pro
bUgvHaDdiZ G5qkMd597Upgrade naar KadastraleKaart Pro
oGnToR4 xWyvZAkeUpgrade naar KadastraleKaart Pro
hMKc5lBgK6TEl2GH0w qUpgrade naar KadastraleKaart Pro
1TEd07MFSMuUpgrade naar KadastraleKaart Pro
KAQMr0sB19nQ90l2nhRPUpgrade naar KadastraleKaart Pro
9 s8O 5ytlOD3Upgrade naar KadastraleKaart Pro
JpqZz9dRmJLE3eUpgrade naar KadastraleKaart Pro
6VFncPxRUpgrade naar KadastraleKaart Pro
18/05/2004

Percelen
Gebruik de zoekbalk of klik op een perceel om informatie over het perceel te bekijken.