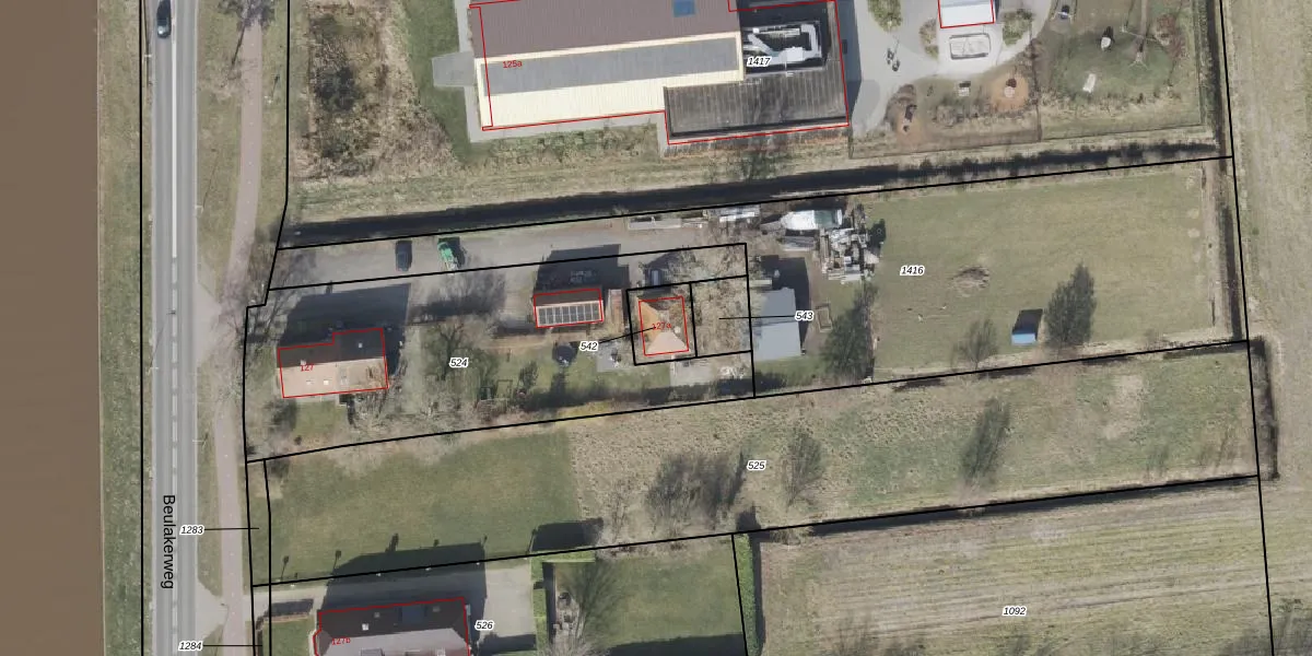
Perceel: BDW00-B-542
KadastraleKaart.com kan meer dan je denktOntdek meer ›
Filter op bestemming 50+ datasets Eigendomsdata in één klik Percelen CRM
110 m2 - 42 m
Eigenaar opvragen
BDW00-B-542 (Brederwiede)
- 8355 AE
eb oGVEA9eaZKJP4lUpgrade naar KadastraleKaart Pro
Bekijk op Street View
Download DWG/DXF/Excel
rRCRpqsrN Upgrade naar KadastraleKaart Pro
Mpp992OEJU viUpgrade naar KadastraleKaart Pro
KmLt94UQC7Fgr86VlsT PUpgrade naar KadastraleKaart Pro
V9SUao9eUpgrade naar KadastraleKaart Pro
O4jnJ38ruUpgrade naar KadastraleKaart Pro
v 1Tj5iggcUpgrade naar KadastraleKaart Pro
BIfH4rIcT xFGUXtrNUpgrade naar KadastraleKaart Pro
vQqC5efW8Upgrade naar KadastraleKaart Pro
SvRA52lBuHU QDA1vKUpgrade naar KadastraleKaart Pro
wd TMcn3zP TUpgrade naar KadastraleKaart Pro
15/01/2002

Percelen
Gebruik de zoekbalk of klik op een perceel om informatie over het perceel te bekijken.