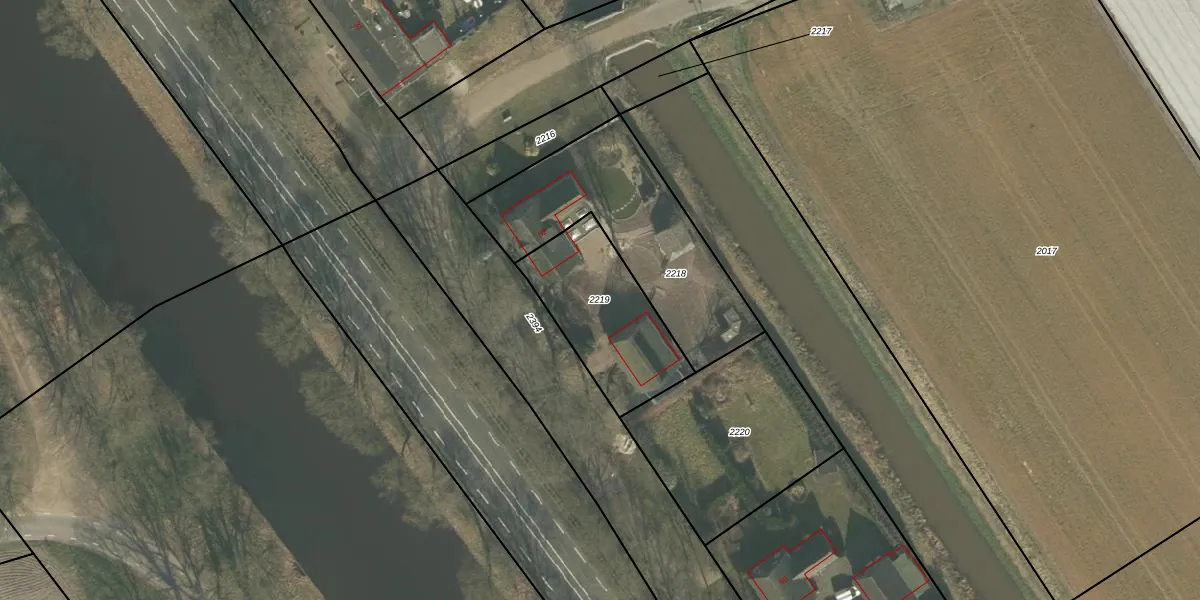
Perceel: BEE01-F-2219
KadastraleKaart.com kan meer dan je denktOntdek meer ›
Filter op bestemming 50+ datasets Eigendomsdata in één klik Percelen CRM
475 m2 - 93 m
Eigenaar opvragen
BEE01-F-2219 (Beek en Donk)
- 5741 SX
KolEq7 t9 rWaPovMyo h5 x 94lBNUpgrade naar KadastraleKaart Pro
Bekijk op Street View
Download DWG/DXF/Excel
MzLB NH8t6tip2XfUpgrade naar KadastraleKaart Pro
hvIMgDjx L7w Upgrade naar KadastraleKaart Pro
o11pLkoENUZRpkVgAXtwN1Upgrade naar KadastraleKaart Pro
S NEb9mhzhjUpgrade naar KadastraleKaart Pro
pZ EzEAnRd3njs3CXEUpgrade naar KadastraleKaart Pro
m KR9c3Oyn1Upgrade naar KadastraleKaart Pro
RVAbxrBS9tjUpgrade naar KadastraleKaart Pro
jhW SHaYUpgrade naar KadastraleKaart Pro
hfO5UjqXXWUpgrade naar KadastraleKaart Pro
r T7KNiPdEAePVQ34U2GUpgrade naar KadastraleKaart Pro
18/09/2009

Percelen
Gebruik de zoekbalk of klik op een perceel om informatie over het perceel te bekijken.