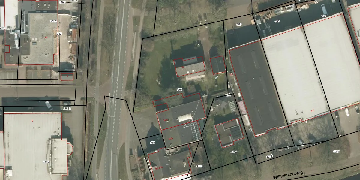
Perceel: BEE01-K-881
KadastraleKaart.com kan meer dan je denktOntdek meer ›
Filter op bestemming 50+ datasets Eigendomsdata in één klik Percelen CRM
2.812 m2 - 221 m
Eigenaar opvragen
BEE01-K-881 (Beek en Donk)
- 5741 HE
tUsRXBUDvQJGml36epP5 I2FaUpgrade naar KadastraleKaart Pro
Bekijk op Street View
Download DWG/DXF/Excel
ZUcC0uFqJUpgrade naar KadastraleKaart Pro
hLTp6TBb0xT oc5Upgrade naar KadastraleKaart Pro
j8pEGeV3YgdKiDc4BQDLCdUpgrade naar KadastraleKaart Pro
kcK0M LON3h836sUpgrade naar KadastraleKaart Pro
pE i7 rSC91MUpgrade naar KadastraleKaart Pro
W 7H 7Ss2 lluIFq0HUpgrade naar KadastraleKaart Pro
sgkxlNZ WNEI43 4ZgoG hUpgrade naar KadastraleKaart Pro
2TZv2sBzmtH dpTwQ1x0Upgrade naar KadastraleKaart Pro
CRepq6 YX adBWcmQPUpgrade naar KadastraleKaart Pro
uWz3hmBAxTfUpgrade naar KadastraleKaart Pro
08/07/2009

Percelen
Gebruik de zoekbalk of klik op een perceel om informatie over het perceel te bekijken.