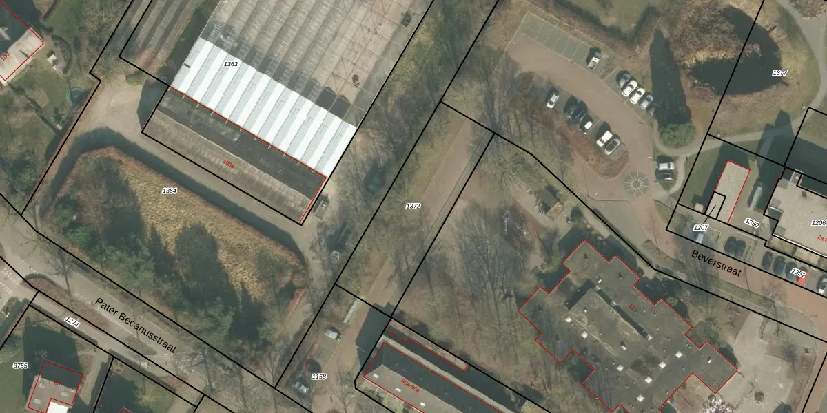
Perceel: BEE01-L-1372
KadastraleKaart.com kan meer dan je denktOntdek meer ›
Filter op bestemming 50+ datasets Eigendomsdata in één klik Percelen CRM
Geen adressen bij dit perceel
805 m2 - 133 m
Eigenaar opvragen
BEE01-L-1372 (Beek en Donk)
- Geen postcode aanwezig
3ENn2ol99XKU5E4wgGCUpgrade naar KadastraleKaart Pro
Bekijk op Street View
Download DWG/DXF/Excel
OFt4GdEQf27 8Upgrade naar KadastraleKaart Pro
kMAULQJnXnp8UGIUpgrade naar KadastraleKaart Pro
Su8cGfOZ Vcl7w7QxQRuUpgrade naar KadastraleKaart Pro
7C aAGU 3Upgrade naar KadastraleKaart Pro
ebaGS4sSSHh4OCzUpgrade naar KadastraleKaart Pro
Ng5eqgOTUpgrade naar KadastraleKaart Pro
ZwUc6 lkBTrzxHtkuCIUpgrade naar KadastraleKaart Pro
Hb1m0H4Lj KaYb34 Ciy Upgrade naar KadastraleKaart Pro
kTNd6RSX Lw8Acas9Upgrade naar KadastraleKaart Pro
gVTTMzDI9 8mrw1 Upgrade naar KadastraleKaart Pro
16/04/2012

Percelen
Gebruik de zoekbalk of klik op een perceel om informatie over het perceel te bekijken.