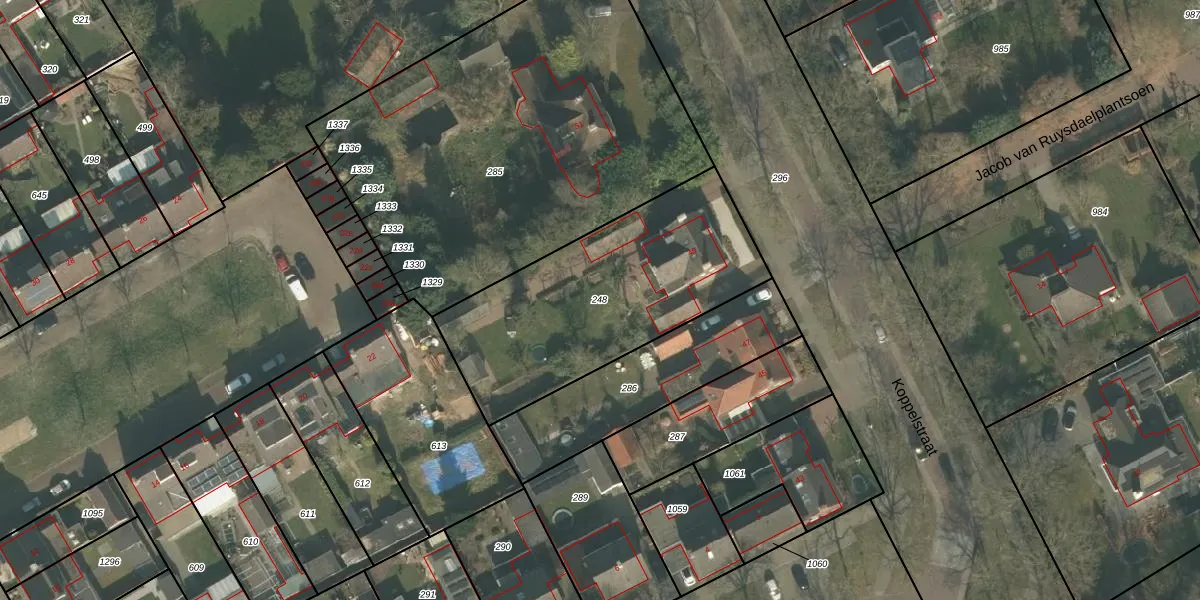
Perceel: BEE01-L-248
KadastraleKaart.com kan meer dan je denktOntdek meer ›
Filter op bestemming 50+ datasets Eigendomsdata in één klik Percelen CRM
1.104 m2 - 148 m
Eigenaar opvragen
BEE01-L-248 (Beek en Donk)
- 5741 GB
0 fAjF 3oyU0eARL NnFUmDoWg34Upgrade naar KadastraleKaart Pro
Verkoopprijs opvragen
Bekijk op Street View
Download DWG/DXF/Excel
dHeGQ 0Upgrade naar KadastraleKaart Pro
qnlB iRqJA 97fYkz8Y8Upgrade naar KadastraleKaart Pro
0Z4Wt d9S8Upgrade naar KadastraleKaart Pro
wltCr5TY0Upgrade naar KadastraleKaart Pro
sjMHGQfiooQgs8GJUpgrade naar KadastraleKaart Pro
ykuC nVhUpgrade naar KadastraleKaart Pro
6K7qYUo fzWzQbg Upgrade naar KadastraleKaart Pro
H4vZu82RUpgrade naar KadastraleKaart Pro
gQUEUsplNmpG1410rnNCwUpgrade naar KadastraleKaart Pro
q ZBHDYl2tnCFg71 HUpgrade naar KadastraleKaart Pro
01/07/2009

Percelen
Gebruik de zoekbalk of klik op een perceel om informatie over het perceel te bekijken.