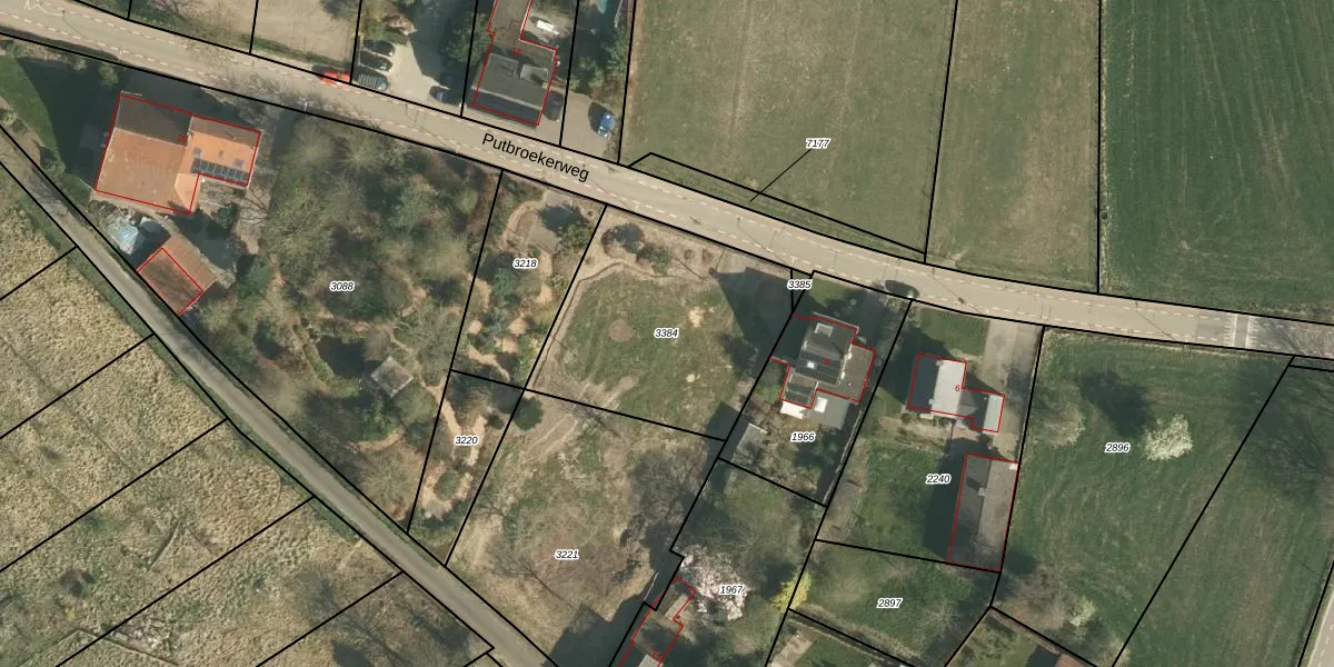
Perceel: BEE02-C-3384
Geen adressen bij dit perceel
910 m2 - 119 m
Eigenaar opvragen
BEE02-C-3384 (Beek)
- Geen postcode aanwezig
uRj Nv bQXhKWyYPsCGe4dpX oI5KhyUpgrade naar KadastraleKaart Pro
Bekijk op Street View
Download DWG/DXF/Excel
v909S5mXwmw RllmDUpgrade naar KadastraleKaart Pro
7WKsT2Q7RUpgrade naar KadastraleKaart Pro
dTNXjsEmkHUA5YL zuC eUpgrade naar KadastraleKaart Pro
eS YUQq RHbUpgrade naar KadastraleKaart Pro
LbVmxw Z mr 0AHR9Upgrade naar KadastraleKaart Pro
wYIvgQgkk1OY33Upgrade naar KadastraleKaart Pro
Ta1TN PaOkRHP 0yRUpgrade naar KadastraleKaart Pro
wRp7njm1WWMCtz3 8zUpgrade naar KadastraleKaart Pro
hcgmAavOrNC070Wp9tUpgrade naar KadastraleKaart Pro
SZJicIK skRcPqw6L8 m1Upgrade naar KadastraleKaart Pro
15/10/2024

Percelen
Gebruik de zoekbalk of klik op een perceel om informatie over het perceel te bekijken.