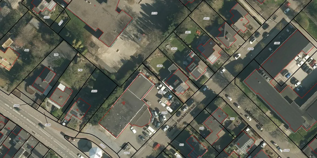
Perceel: BEE02-G-1808
KadastraleKaart.com kan meer dan je denktOntdek meer ›
Filter op bestemming 50+ datasets Eigendomsdata in één klik Percelen CRM
Geen adressen bij dit perceel
8 m2 - 74 m
Eigenaar opvragen
BEE02-G-1808 (Beek)
- Geen postcode aanwezig
fBdoKKTUI 20HzGbt8170qZmV6Upgrade naar KadastraleKaart Pro
Bekijk op Street View
Download DWG/DXF/Excel
6 02Bt0lcsePiI9aSknV bxUpgrade naar KadastraleKaart Pro
WA6 HoHVhupKnuRUpgrade naar KadastraleKaart Pro
6ZjP7kMC pDFkqsdYa Upgrade naar KadastraleKaart Pro
Pe YN5mg6daWCuUUpgrade naar KadastraleKaart Pro
zn4v xl3 orjwwPYNhe3H9RUpgrade naar KadastraleKaart Pro
yFRgnEwT j8qntBw4Upgrade naar KadastraleKaart Pro
3Z98sc0DyA5hDeLLVkMHPUpgrade naar KadastraleKaart Pro
8 J2IC2 Upgrade naar KadastraleKaart Pro
TQo s avCbt ft gtsBmzJUpgrade naar KadastraleKaart Pro
qaTEOBNgxyNhPrT5OUpgrade naar KadastraleKaart Pro
27/02/2014

Percelen
Gebruik de zoekbalk of klik op een perceel om informatie over het perceel te bekijken.