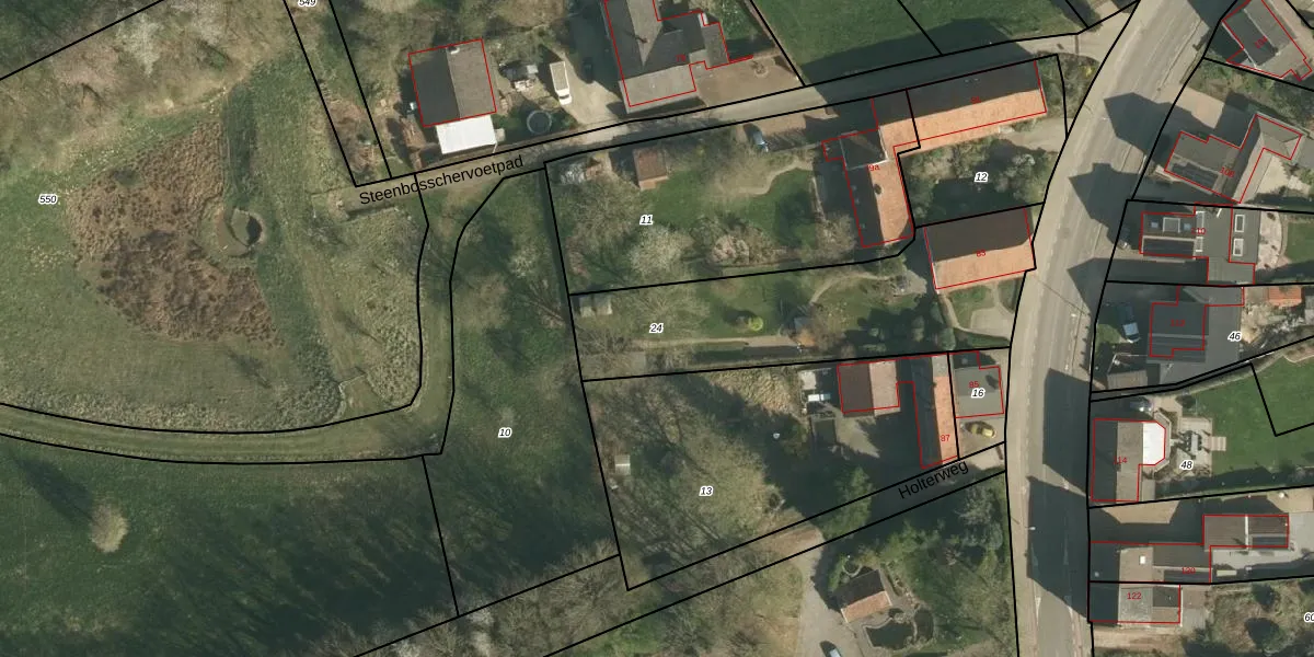
Perceel: BEE02-N-24
KadastraleKaart.com kan meer dan je denktOntdek meer ›
Filter op bestemming 50+ datasets Eigendomsdata in één klik Percelen CRM
1.175 m2 - 178 m
Eigenaar opvragen
BEE02-N-24 (Beek)
- 6176 AB
utALi WQBqsmgCn9sG49 sQ4ASpUpgrade naar KadastraleKaart Pro
Bekijk op Street View
Download DWG/DXF/Excel
tubR QiPzHfwuVUpgrade naar KadastraleKaart Pro
O FoZ4Ae7fzmPR0p9Wxt6eCUpgrade naar KadastraleKaart Pro
Clisn8mRjJzG1bAQUpgrade naar KadastraleKaart Pro
aSoZJ1xpDo kZ jowOzxUpgrade naar KadastraleKaart Pro
pxQ e0 5Rdw6r tFz dtUpgrade naar KadastraleKaart Pro
Vt QtcxRnWeO7MG Q3 LoUpgrade naar KadastraleKaart Pro
CnbnG6tRToVWAE5HUpgrade naar KadastraleKaart Pro
GfWnF EbA 8voI8kzUpgrade naar KadastraleKaart Pro
eD0xvCFjjMWY6Upgrade naar KadastraleKaart Pro
fEri9sCz7t j1RY gvHTTqUpgrade naar KadastraleKaart Pro
19/10/2009

Percelen
Gebruik de zoekbalk of klik op een perceel om informatie over het perceel te bekijken.