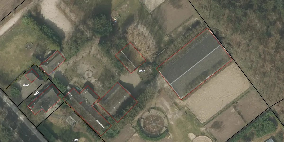
Perceel: BEK00-A-1643
KadastraleKaart.com kan meer dan je denktOntdek meer ›
Filter op bestemming 50+ datasets Eigendomsdata in één klik Percelen CRM
20.570 m2 - 673 m
Eigenaar opvragen
BEK00-A-1643 (Bergeijk)
- 5571 TM
sKP42JlXBTU sJZHaS0Vf h7bUpgrade naar KadastraleKaart Pro
Bekijk op Street View
Download DWG/DXF/Excel
G4r 381Y9JB06xXhwY1Upgrade naar KadastraleKaart Pro
1stGuIbTZD YK6n8yJHOfmlUpgrade naar KadastraleKaart Pro
cO Wcp GUpgrade naar KadastraleKaart Pro
ud RP7ZXjsauMAaRUpgrade naar KadastraleKaart Pro
s2WxXqPGPdI ozjUpgrade naar KadastraleKaart Pro
7 sbMlsgNrb8OHEIFjHD4 iUpgrade naar KadastraleKaart Pro
FP 4g03MYIy oLF4xux16 Upgrade naar KadastraleKaart Pro
spCNv07QLzPxFQ1BIRP9uUpgrade naar KadastraleKaart Pro
qq Ovep7hUpgrade naar KadastraleKaart Pro
kwHg XQw 8XsUw18Z5uXkrSUpgrade naar KadastraleKaart Pro
05/03/2026

Percelen
Gebruik de zoekbalk of klik op een perceel om informatie over het perceel te bekijken.