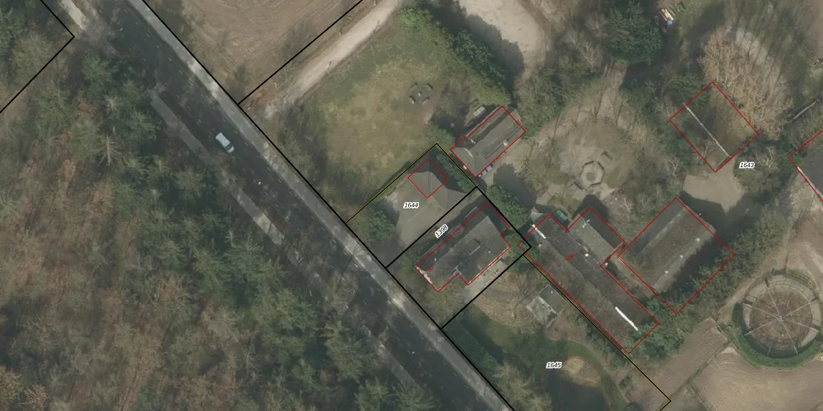
Perceel: BEK00-A-1644
KadastraleKaart.com kan meer dan je denktOntdek meer ›
Filter op bestemming 50+ datasets Eigendomsdata in één klik Percelen CRM
Geen adressen bij dit perceel
427 m2 - 88 m
Eigenaar opvragen
BEK00-A-1644 (Bergeijk)
- Geen postcode aanwezig
wlKE5eyeNe1jD4 6KMWp0jH6sPQHsNUpgrade naar KadastraleKaart Pro
Bekijk op Street View
Download DWG/DXF/Excel
PUGoYIjRm8M0 Oi sUpgrade naar KadastraleKaart Pro
aB5f5 qVLtUyIUpgrade naar KadastraleKaart Pro
DBLBNc1U rs Upgrade naar KadastraleKaart Pro
EQ86SX25m9f3OEfU7WOUpgrade naar KadastraleKaart Pro
aqv8BBvhXKUpgrade naar KadastraleKaart Pro
KY2uydGMYfUpgrade naar KadastraleKaart Pro
kGXmXk1 qUpgrade naar KadastraleKaart Pro
PMWf bRSeCxghUpgrade naar KadastraleKaart Pro
qumdMLELbSruUpgrade naar KadastraleKaart Pro
LxKdlkGUvzdjw3ZA7F ZA8Upgrade naar KadastraleKaart Pro
05/03/2026

Percelen
Gebruik de zoekbalk of klik op een perceel om informatie over het perceel te bekijken.