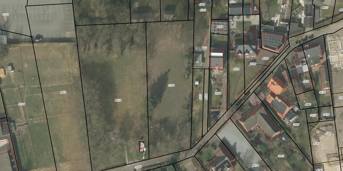
Perceel: BEK00-B-1376
KadastraleKaart.com kan meer dan je denktOntdek meer ›
Filter op bestemming 50+ datasets Eigendomsdata in één klik Percelen CRM
Geen adressen bij dit perceel
2.006 m2 - 209 m
Eigenaar opvragen
BEK00-B-1376 (Bergeijk)
- Geen postcode aanwezig
QLSXPTw5 FM2Qpp2u7v NUpgrade naar KadastraleKaart Pro
Bekijk op Street View
Download DWG/DXF/Excel
fWuXtZ 0MqhoUpgrade naar KadastraleKaart Pro
WqSvBsVUbLgSBPxQ9UxP6xUpgrade naar KadastraleKaart Pro
GYV L1FaUpgrade naar KadastraleKaart Pro
YQx 4 XN5ak1QTVhLiaUpgrade naar KadastraleKaart Pro
NFmq8Ej RHmvXQ9cjaUpgrade naar KadastraleKaart Pro
AXXULmN RQw4VUXJfCTCVTmUpgrade naar KadastraleKaart Pro
YlpWTy0UTO4z344x1 MzR Upgrade naar KadastraleKaart Pro
ydKuni4CS1zWqpI5Upgrade naar KadastraleKaart Pro
XFo5TRJBc Upgrade naar KadastraleKaart Pro
fn1aWeAyB8Upgrade naar KadastraleKaart Pro
01/02/2008

Percelen
Gebruik de zoekbalk of klik op een perceel om informatie over het perceel te bekijken.