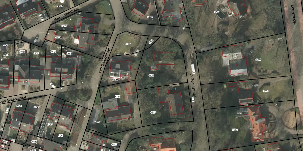
Perceel: BEK00-D-4632
KadastraleKaart.com kan meer dan je denktOntdek meer ›
Filter op bestemming 50+ datasets Eigendomsdata in één klik Percelen CRM
870 m2 - 115 m
Eigenaar opvragen
BEK00-D-4632 (Bergeijk)
- 5571 BJ
5gI ZtqGYsz3mb6NsbGqwDf IPwdo6Upgrade naar KadastraleKaart Pro
Verkoopprijs opvragen
Bekijk op Street View
Download DWG/DXF/Excel
I LrfO2dukxpUpgrade naar KadastraleKaart Pro
efq67PoHo kHKUpgrade naar KadastraleKaart Pro
dR s AVODc2ZDap4Upgrade naar KadastraleKaart Pro
8TNuIXHx3zjZpVZ9w BUpgrade naar KadastraleKaart Pro
VlQMp9hWV5GhZtUpgrade naar KadastraleKaart Pro
MouMi eA7aP n hHB Upgrade naar KadastraleKaart Pro
j7Gbm5LHIlycp8EPUpgrade naar KadastraleKaart Pro
F C tgVVk6LgJsUpgrade naar KadastraleKaart Pro
V6Sp 05idUpgrade naar KadastraleKaart Pro
cp4JnntI3MhTkAl O5Le9Upgrade naar KadastraleKaart Pro
21/02/2008

Percelen
Gebruik de zoekbalk of klik op een perceel om informatie over het perceel te bekijken.