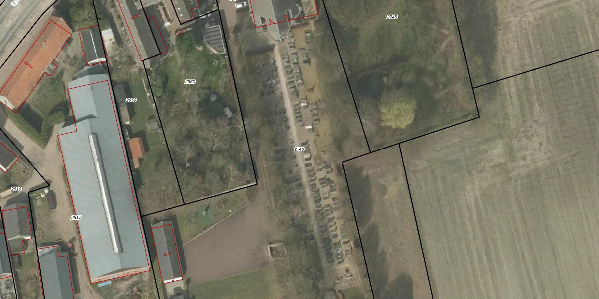
Perceel: BEK00-E-2746
KadastraleKaart.com kan meer dan je denktOntdek meer ›
Filter op bestemming 50+ datasets Eigendomsdata in één klik Percelen CRM
8.165 m2 - 485 m
Eigenaar opvragen
BEK00-E-2746 (Bergeijk)
- 5571 KP
ssGjie w V2 da 3SvRJpyrKHWUpgrade naar KadastraleKaart Pro
Bekijk op Street View
Download DWG/DXF/Excel
phn9YtqA0wVvwfpBYUpgrade naar KadastraleKaart Pro
kWpamhW6uYOZvtXv1BWLCipUpgrade naar KadastraleKaart Pro
MFfKPtYaUpgrade naar KadastraleKaart Pro
yNr2GXDKZ4I28aUpgrade naar KadastraleKaart Pro
hhziS9sLiaJnKm19LKUpgrade naar KadastraleKaart Pro
Cay9gkIU0W39Mws8FsUpgrade naar KadastraleKaart Pro
ga7eodc Mtjd0ieeqeUpgrade naar KadastraleKaart Pro
Q hAq D7XJzxFmYJZCDqEUpgrade naar KadastraleKaart Pro
ItgfD9hjH21GUpgrade naar KadastraleKaart Pro
e2de6QA Yw7bzMrYgw4osUpgrade naar KadastraleKaart Pro
24/10/2016

Percelen
Gebruik de zoekbalk of klik op een perceel om informatie over het perceel te bekijken.