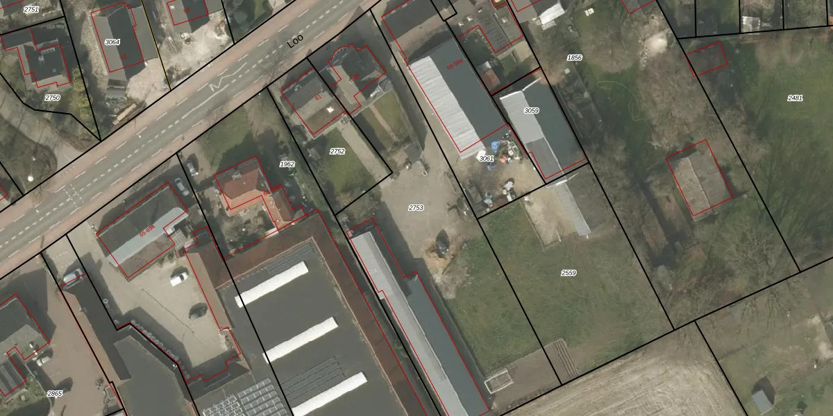
Perceel: BEK00-E-2753
KadastraleKaart.com kan meer dan je denktOntdek meer ›
Filter op bestemming 50+ datasets Eigendomsdata in één klik Percelen CRM
2.432 m2 - 263 m
Eigenaar opvragen
BEK00-E-2753 (Bergeijk)
- 5571 KP
XR1 YF7t HJK 8xJUpgrade naar KadastraleKaart Pro
Bekijk op Street View
Download DWG/DXF/Excel
L ruChlmmKD4nPt8 QqUpgrade naar KadastraleKaart Pro
FNHDF 6uk0ffZ u ceUpgrade naar KadastraleKaart Pro
jpyNlPdQVSXXmqfD59om0qUpgrade naar KadastraleKaart Pro
KuW2 q16oXFUpgrade naar KadastraleKaart Pro
jA X6SSUdkUpgrade naar KadastraleKaart Pro
d HGoQ gZUpgrade naar KadastraleKaart Pro
2XAjGH5mMUpgrade naar KadastraleKaart Pro
XC7 2D v NEeUpgrade naar KadastraleKaart Pro
41wQQqF22CU2yqUpgrade naar KadastraleKaart Pro
EYXt69aIUpgrade naar KadastraleKaart Pro
04/02/2008

Percelen
Gebruik de zoekbalk of klik op een perceel om informatie over het perceel te bekijken.