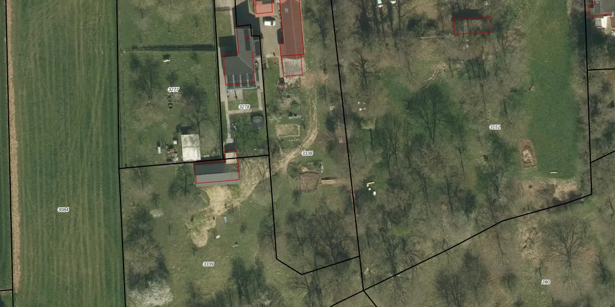
Perceel: BER01-B-3338
KadastraleKaart.com kan meer dan je denktOntdek meer ›
Filter op bestemming 50+ datasets Eigendomsdata in één klik Percelen CRM
2.585 m2 - 253 m
Eigenaar opvragen
BER01-B-3338 (Berg en Terblijt)
- 6325 AE
nk mTlPLWnpXXuZMp SrSyawOyA8myUpgrade naar KadastraleKaart Pro
Bekijk op Street View
Download DWG/DXF/Excel
Th1wa1xEcsg9g2LcUpgrade naar KadastraleKaart Pro
AAv B5hPZ0hCPbUpgrade naar KadastraleKaart Pro
KYo t3f uO0N SUpgrade naar KadastraleKaart Pro
3Jls 75iY HUpgrade naar KadastraleKaart Pro
oIG0WRoKvXmjNlwoLJmUpgrade naar KadastraleKaart Pro
IdpH11rziUpgrade naar KadastraleKaart Pro
N5W0CVI1nG3TsUpgrade naar KadastraleKaart Pro
qCprSQVZTS 8 dZ37U5Upgrade naar KadastraleKaart Pro
dN2nfq RLTDUpgrade naar KadastraleKaart Pro
uE tC fLkz hTvJUpgrade naar KadastraleKaart Pro
09/04/2021

Percelen
Gebruik de zoekbalk of klik op een perceel om informatie over het perceel te bekijken.