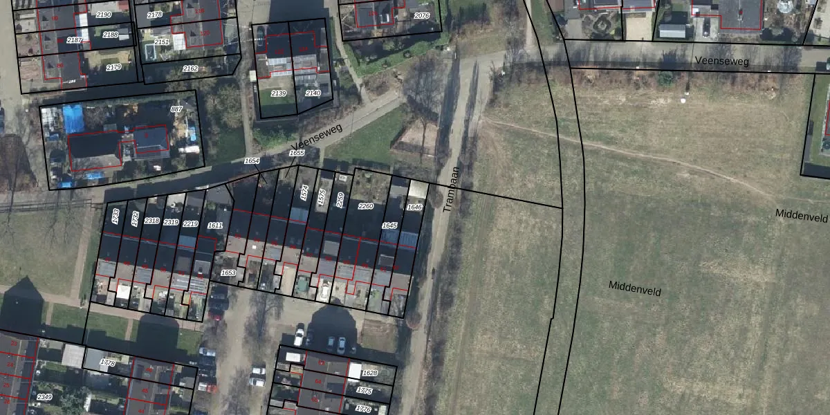
Perceel: BER02-E-1646
KadastraleKaart.com kan meer dan je denktOntdek meer ›
Filter op bestemming 50+ datasets Eigendomsdata in één klik Percelen CRM
158 m2 - 78 m
Eigenaar opvragen
BER02-E-1646 (Bergh)
- 7041 HK
pmiht2 0m YgJAjcWUpgrade naar KadastraleKaart Pro
Verkoopprijs opvragen
Bekijk op Street View
Download DWG/DXF/Excel
XU7ZuZ 7yrhdkUpgrade naar KadastraleKaart Pro
UjEgCa 3vuYNynUpgrade naar KadastraleKaart Pro
fAd01j3BG5Dbzx9QETC1MvUpgrade naar KadastraleKaart Pro
T34ezaUGPctUpgrade naar KadastraleKaart Pro
nmMDLOMebm3tmW6gANt5TfcUpgrade naar KadastraleKaart Pro
q p igECvUpgrade naar KadastraleKaart Pro
5d4kQiUGKinXnDoKkjxUpgrade naar KadastraleKaart Pro
lI0fYKnYo IzYzPUpgrade naar KadastraleKaart Pro
dZu UMSbtVUpgrade naar KadastraleKaart Pro
VPdvDr TcMv4VU8ExyUpgrade naar KadastraleKaart Pro
13/06/2007

Percelen
Gebruik de zoekbalk of klik op een perceel om informatie over het perceel te bekijken.