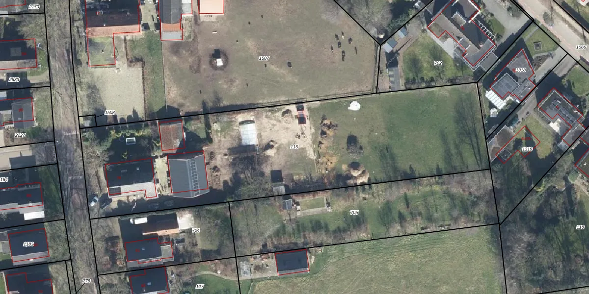
Perceel: BER02-K-115
4.095 m2 - 334 m
Eigenaar opvragen
BER02-K-115 (Bergh)
- 7037 AW
SOXKvJPneD8iZyTOWkSaGjL8BiCmnnUpgrade naar KadastraleKaart Pro
Verkoopprijs opvragen
Bekijk op Street View
Download DWG/DXF/Excel
IAn6gvGJUpgrade naar KadastraleKaart Pro
QOcXdfY41NcpYE8roGV1TVUpgrade naar KadastraleKaart Pro
qsyaFQ116MUpgrade naar KadastraleKaart Pro
jjnB67giVbMusFOfNwdfoUpgrade naar KadastraleKaart Pro
xB b86Be R BkXRkdLTjw Upgrade naar KadastraleKaart Pro
zxc3aEOrSQUpgrade naar KadastraleKaart Pro
dyorFmMEvQ20WxVlwwrD4PqUpgrade naar KadastraleKaart Pro
KjheQPJrBP E0Upgrade naar KadastraleKaart Pro
J9hId1aIJ IUpgrade naar KadastraleKaart Pro
NMD8B Om5 YPv9GUpgrade naar KadastraleKaart Pro
21/04/2023

Percelen
Gebruik de zoekbalk of klik op een perceel om informatie over het perceel te bekijken.