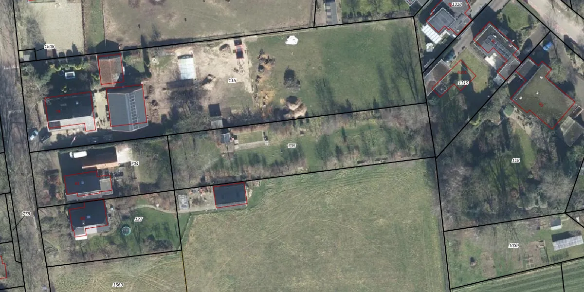
Perceel: BER02-K-705
Geen adressen bij dit perceel
1.670 m2 - 217 m
Eigenaar opvragen
BER02-K-705 (Bergh)
- Geen postcode aanwezig
m kK5duKxUwsjoXg3so5bOLQy8 jUpgrade naar KadastraleKaart Pro
Bekijk op Street View
Download DWG/DXF/Excel
mqK1gAap5elgUpgrade naar KadastraleKaart Pro
OG2QfP9ziLLNrV6SYgF Upgrade naar KadastraleKaart Pro
RLjotKGyCHkUpgrade naar KadastraleKaart Pro
jFP3D9Yj6Upgrade naar KadastraleKaart Pro
yP rpMbLPbUpgrade naar KadastraleKaart Pro
4p6TM9rshznTL Upgrade naar KadastraleKaart Pro
O RPUiwtWQ n UUpgrade naar KadastraleKaart Pro
wwvGHTFhrbP Xe5X1sftUpgrade naar KadastraleKaart Pro
VSNNTNkps8Upgrade naar KadastraleKaart Pro
wETvFXzx Yk C WTgOAdjYZUpgrade naar KadastraleKaart Pro
06/07/2000

Percelen
Gebruik de zoekbalk of klik op een perceel om informatie over het perceel te bekijken.