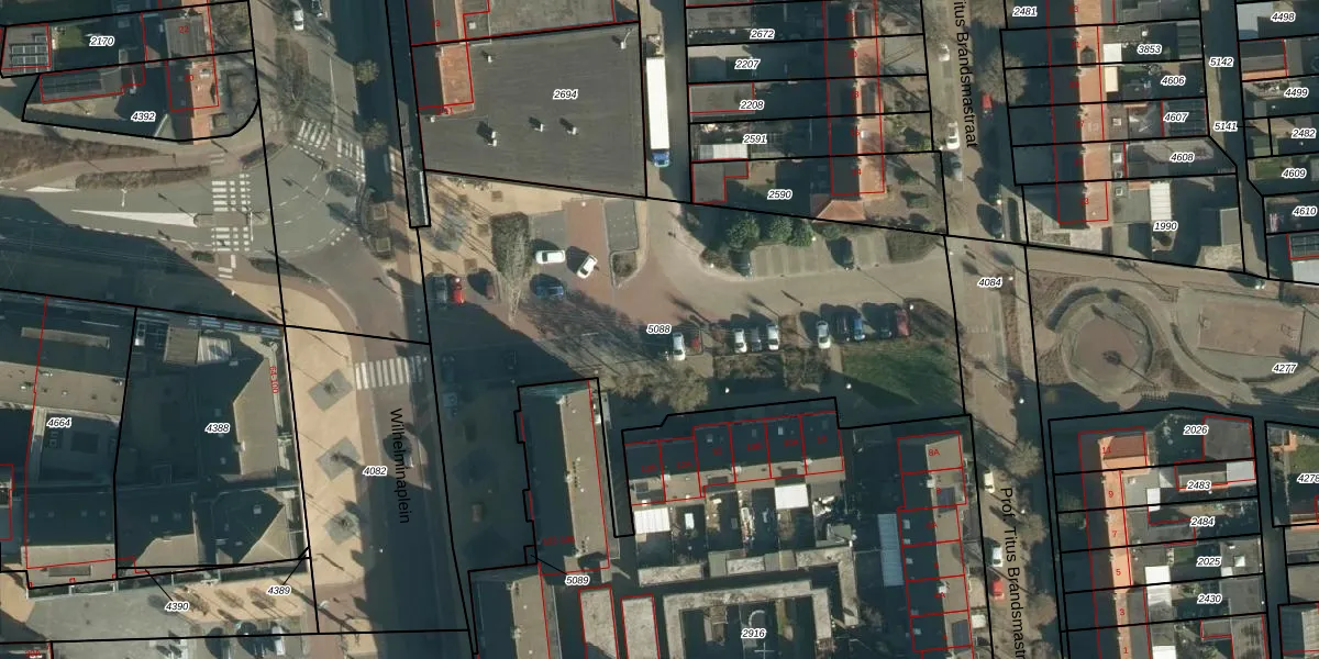
Perceel: BES00-C-5088
KadastraleKaart.com kan meer dan je denktOntdek meer ›
Filter op bestemming 50+ datasets Eigendomsdata in één klik Percelen CRM
Geen adressen bij dit perceel
2.875 m2 - 350 m
Eigenaar opvragen
BES00-C-5088 (Best)
- Geen postcode aanwezig
zZ2kEYvvOURKR obYY3MOUpgrade naar KadastraleKaart Pro
Bekijk op Street View
Download DWG/DXF/Excel
1B6Ak6m8sD8i1Upgrade naar KadastraleKaart Pro
C Vd8zM4Bsc7N2 ARGUkUpgrade naar KadastraleKaart Pro
c7Rm8WpcIUpgrade naar KadastraleKaart Pro
RH8Y1yVpI613HpeTUpgrade naar KadastraleKaart Pro
w m3kaqXUpgrade naar KadastraleKaart Pro
TqpZk3mV mPO rTUpgrade naar KadastraleKaart Pro
13pZXDquPIS6rBUpgrade naar KadastraleKaart Pro
59jv N39hnUpgrade naar KadastraleKaart Pro
aZETX3npbVWUpgrade naar KadastraleKaart Pro
zVYPTICE Upgrade naar KadastraleKaart Pro
15/12/2023

Percelen
Gebruik de zoekbalk of klik op een perceel om informatie over het perceel te bekijken.