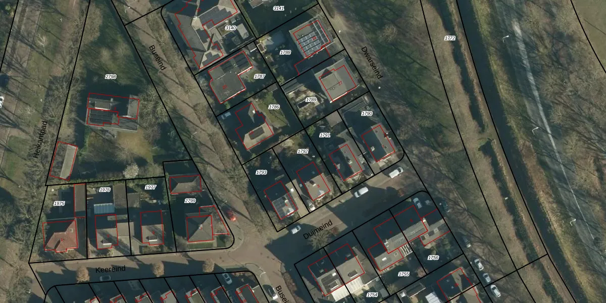
Perceel: BES00-K-1792
KadastraleKaart.com kan meer dan je denktOntdek meer ›
Filter op bestemming 50+ datasets Eigendomsdata in één klik Percelen CRM
310 m2 - 75 m
Eigenaar opvragen
BES00-K-1792 (Best)
- 5685 DD
0AzUPIiSRVu 84KSb8jhRUpgrade naar KadastraleKaart Pro
Bekijk op Street View
Download DWG/DXF/Excel
cGlcX51Upgrade naar KadastraleKaart Pro
OGVgNAf2S dc lfUpgrade naar KadastraleKaart Pro
LwEqitXfTRLh NZsg kRFXUpgrade naar KadastraleKaart Pro
UktTKqeecUpgrade naar KadastraleKaart Pro
fEejfRWUuDwvUpgrade naar KadastraleKaart Pro
xp PReN z IUpgrade naar KadastraleKaart Pro
O Aa40RTUc4N8Upgrade naar KadastraleKaart Pro
fxVw AVnL83jfUpgrade naar KadastraleKaart Pro
IeSI7QwX3whRXo2JRUpgrade naar KadastraleKaart Pro
PXXspQak5yYEs5XDxOUpgrade naar KadastraleKaart Pro
26/03/2009

Percelen
Gebruik de zoekbalk of klik op een perceel om informatie over het perceel te bekijken.