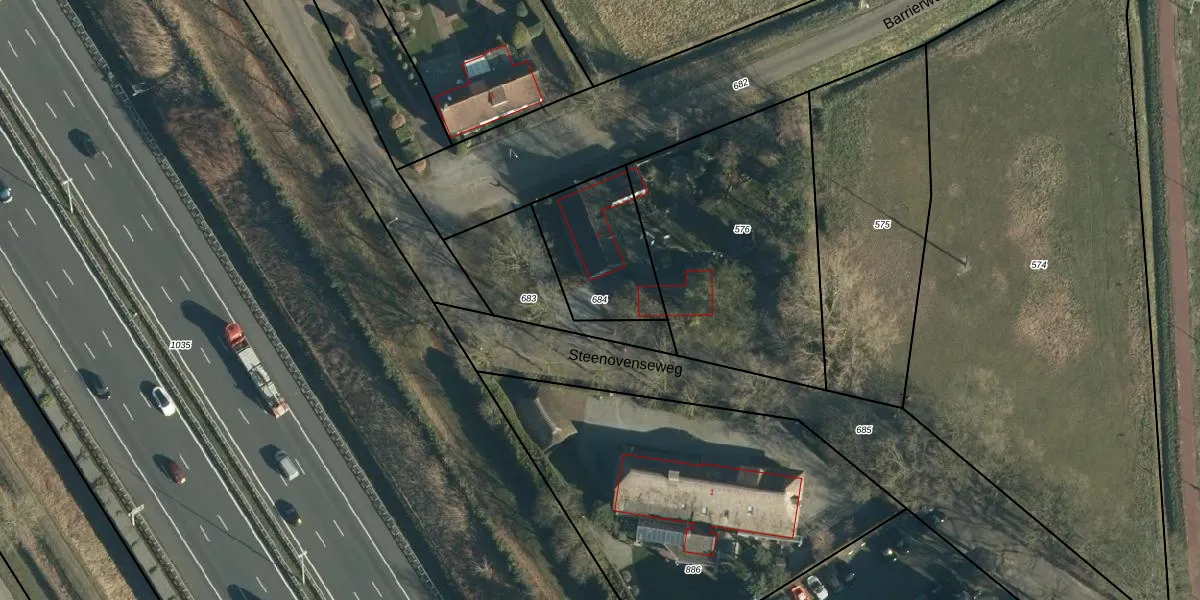
Perceel: BES00-L-684
KadastraleKaart.com kan meer dan je denktOntdek meer ›
Filter op bestemming 50+ datasets Eigendomsdata in één klik Percelen CRM
405 m2 - 80 m
Eigenaar opvragen
BES00-L-684 (Best)
- 5681 BE
yzamcZb 8IQL90U SImH7VL Upgrade naar KadastraleKaart Pro
Verkoopprijs opvragen
Bekijk op Street View
Download DWG/DXF/Excel
Xp1TQLNn4 EVM1PFcEyX uGUpgrade naar KadastraleKaart Pro
UH79FUVhfxRMhUpgrade naar KadastraleKaart Pro
a5 3pWcYpieXUpgrade naar KadastraleKaart Pro
nksa6MbvqZ6tUpgrade naar KadastraleKaart Pro
OTXHv1wyhsxpmzzHdhAF1Upgrade naar KadastraleKaart Pro
4WpLgas386TDoUNseUpgrade naar KadastraleKaart Pro
4jgRLIV4HcfUpgrade naar KadastraleKaart Pro
ZJrXnhiG1SqbUpgrade naar KadastraleKaart Pro
ERX ZI d7obIc7jyjmc FUpgrade naar KadastraleKaart Pro
ADqLKWeikH1pfUpgrade naar KadastraleKaart Pro
18/03/2009

Percelen
Gebruik de zoekbalk of klik op een perceel om informatie over het perceel te bekijken.