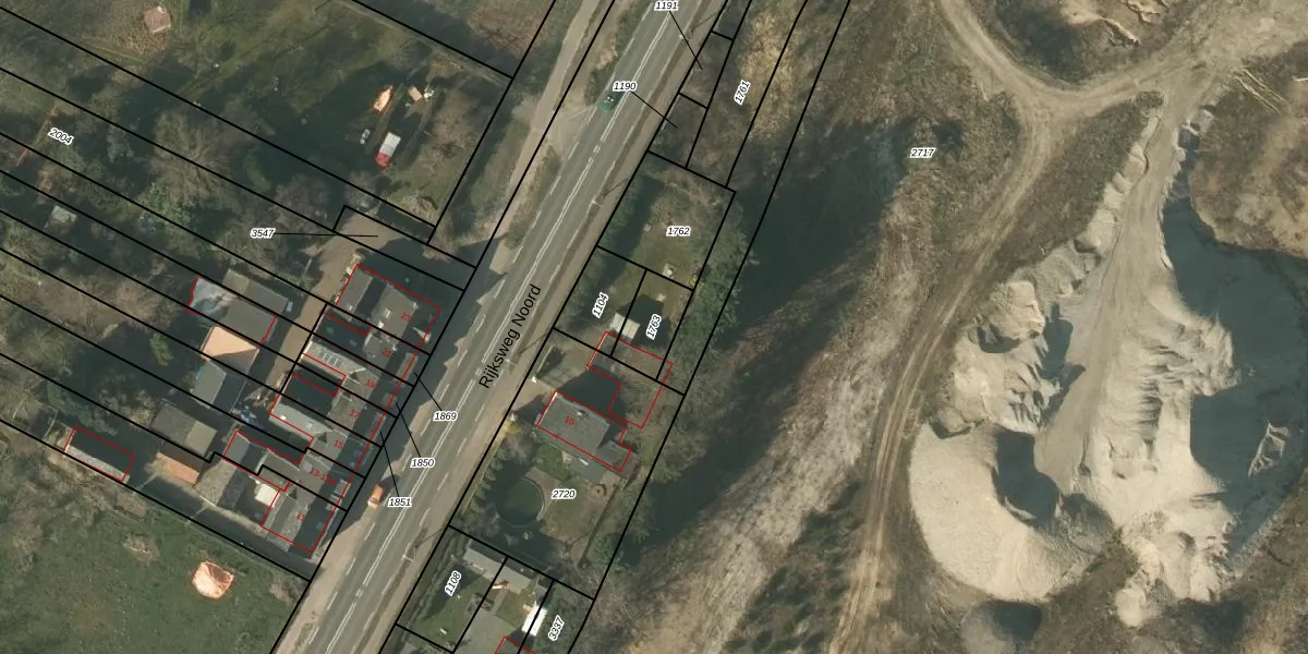
Perceel: BFD00-A-1763
Geen adressen bij dit perceel
125 m2 - 45 m
Eigenaar opvragen
BFD00-A-1763 (Belfeld)
- Geen postcode aanwezig
6P0xzF7pMJK H7L DVX9MmzwGz1TEUpgrade naar KadastraleKaart Pro
Bekijk op Street View
Download DWG/DXF/Excel
hQ 7 x gpcUpgrade naar KadastraleKaart Pro
HzTNg894QUpgrade naar KadastraleKaart Pro
nh89 XibHQRAzpHrIUpgrade naar KadastraleKaart Pro
K fZdCa7z9wxeNvsq9YQUpgrade naar KadastraleKaart Pro
5SUcGXtsLVrLAUpgrade naar KadastraleKaart Pro
VzQeGE B3O OYMB7YGUpgrade naar KadastraleKaart Pro
Y F0B3ZiKGj1SyDGFxA7FElUpgrade naar KadastraleKaart Pro
SQX2CS7RzZ7yU4HUpgrade naar KadastraleKaart Pro
OQ5kigxseRqT2R7RVEt I6VUpgrade naar KadastraleKaart Pro
f7goLWEdK0XkIqip l Upgrade naar KadastraleKaart Pro
03/06/2022

Percelen
Gebruik de zoekbalk of klik op een perceel om informatie over het perceel te bekijken.