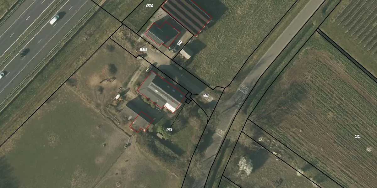
Perceel: BFD00-E-627
Geen adressen bij dit perceel
9 m2 - 15 m
Eigenaar opvragen
BFD00-E-627 (Belfeld)
- Geen postcode aanwezig
gqBhM5sh7zGVJz NzJUpgrade naar KadastraleKaart Pro
Bekijk op Street View
Download DWG/DXF/Excel
TaOmUyF2hTjb U5YAWRiMldUpgrade naar KadastraleKaart Pro
mqPvyXLojTlEo c8V 0pUpgrade naar KadastraleKaart Pro
mR667uC2O5LRCUpgrade naar KadastraleKaart Pro
J61FDPU m0Upgrade naar KadastraleKaart Pro
SKAUMwqHd QuT YUpgrade naar KadastraleKaart Pro
j8O Oqi 0NXbcF6E7UUpgrade naar KadastraleKaart Pro
B3l8duSa4uUpgrade naar KadastraleKaart Pro
jHg3Vy4xvjDf3G3OLLNIZgDUpgrade naar KadastraleKaart Pro
RDSN NqK3vu2 ynoXUpgrade naar KadastraleKaart Pro
SXg 1YLIoXXiUpgrade naar KadastraleKaart Pro
02/11/2006

Percelen
Gebruik de zoekbalk of klik op een perceel om informatie over het perceel te bekijken.