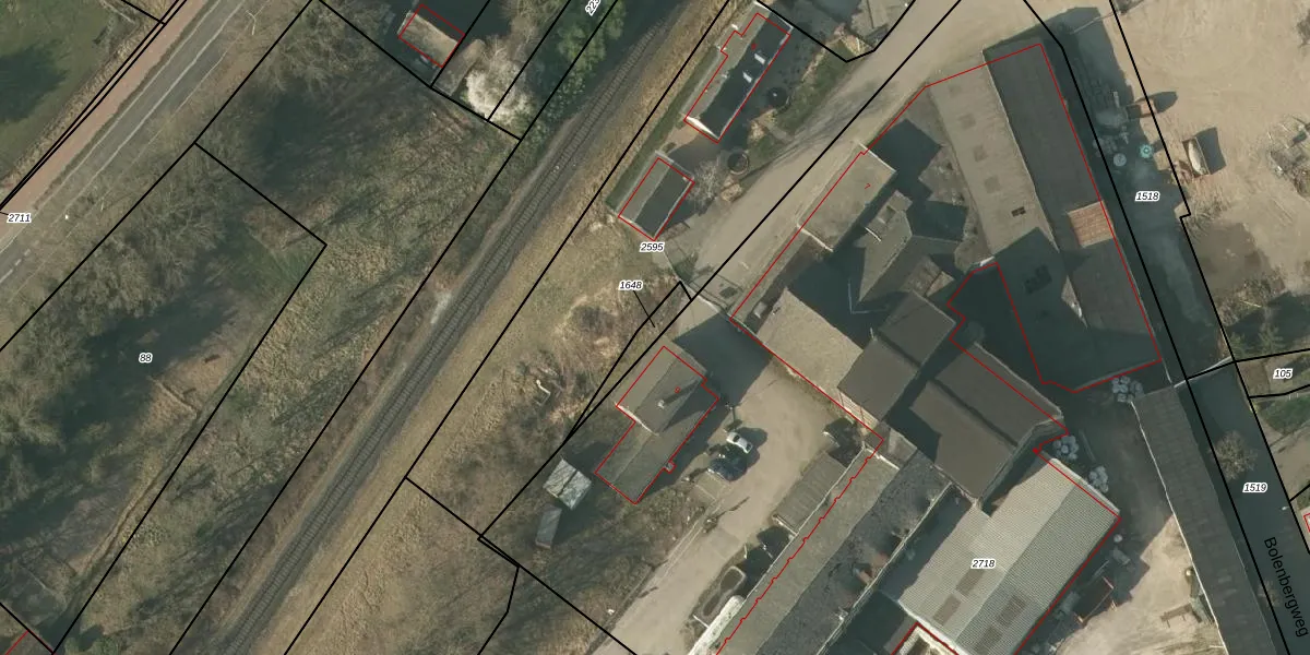
Perceel: BFD00-F-1648
Geen adressen bij dit perceel
60 m2 - 63 m
Eigenaar opvragen
BFD00-F-1648 (Belfeld)
- Geen postcode aanwezig
87yA0 OyWV1qrrmAwVqION2Upgrade naar KadastraleKaart Pro
Bekijk op Street View
Download DWG/DXF/Excel
JQ8 T8A0AwDPy SUpgrade naar KadastraleKaart Pro
GC5fw v hoUpgrade naar KadastraleKaart Pro
L8Yje7q RHwxH1c0yL dqb Upgrade naar KadastraleKaart Pro
NEY fDi CQUpgrade naar KadastraleKaart Pro
u2kODZLeUpgrade naar KadastraleKaart Pro
GpogvI3iUAUpgrade naar KadastraleKaart Pro
uO4Pmn1Zktd1VvyKLg27I NUpgrade naar KadastraleKaart Pro
g471oFLbn0DUfKUVB1tqC6Upgrade naar KadastraleKaart Pro
3dmQ ONXgUL36QztJQ6RZ 2Upgrade naar KadastraleKaart Pro
sLt290KIKwuUpgrade naar KadastraleKaart Pro
02/03/2007

Percelen
Gebruik de zoekbalk of klik op een perceel om informatie over het perceel te bekijken.