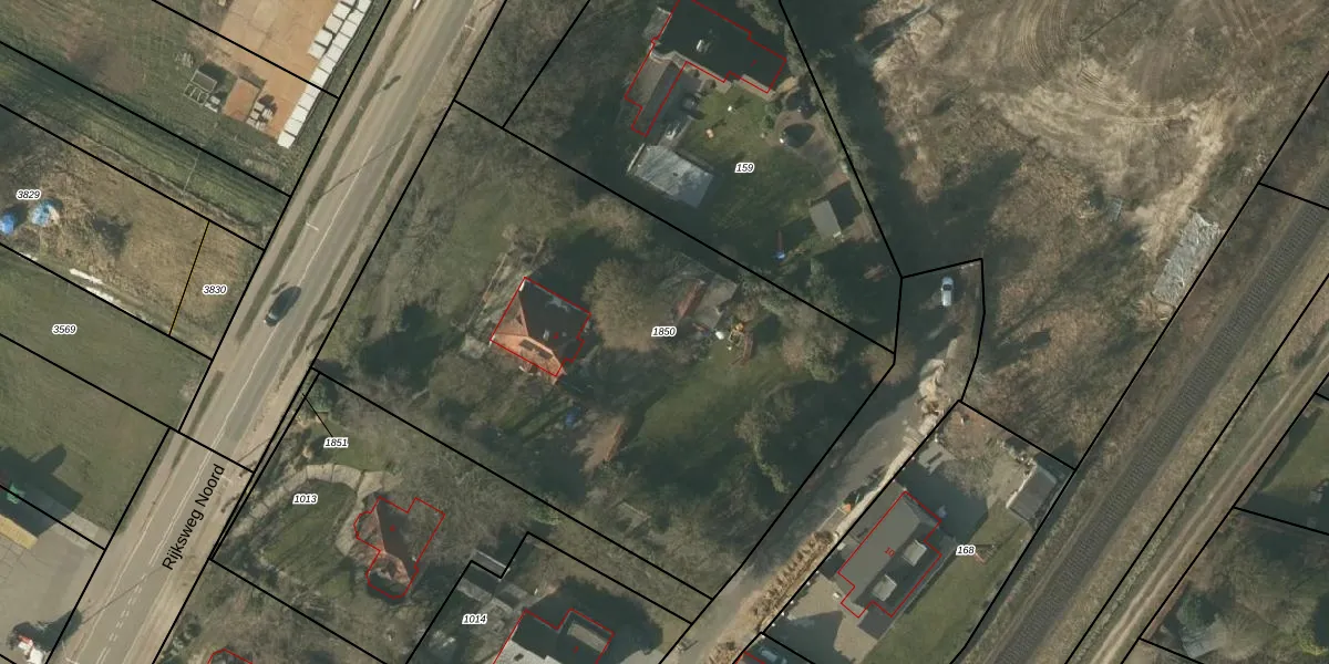
Perceel: BFD00-F-1850
3.380 m2 - 238 m
Eigenaar opvragen
BFD00-F-1850 (Belfeld)
- 5951 AT
iLTBV DJStV5weRjhj5 zXHPJy2nUpgrade naar KadastraleKaart Pro
Verkoopprijs opvragen
Bekijk op Street View
Download DWG/DXF/Excel
wBhfJcNvf6s8ZAP1 x1rwaUpgrade naar KadastraleKaart Pro
yf Z0zg 3FUpgrade naar KadastraleKaart Pro
89ondl 0LUpgrade naar KadastraleKaart Pro
ID9eVobcuAO2vTQ 9rPUpgrade naar KadastraleKaart Pro
RsaPGrX9Upgrade naar KadastraleKaart Pro
mnxJkX K8dd izUpgrade naar KadastraleKaart Pro
SYkeJmU4qVr5VttZiOjK3SUpgrade naar KadastraleKaart Pro
XMk45XMQCdQyC TvUpgrade naar KadastraleKaart Pro
jZmMd1onhNIUpgrade naar KadastraleKaart Pro
qEcVf tthQWBltx Upgrade naar KadastraleKaart Pro
06/03/2008

Percelen
Gebruik de zoekbalk of klik op een perceel om informatie over het perceel te bekijken.